
| Startpagina | Inhoudsopgave | Lezingen
| Uitgaven
| Op
en rond het Domplein | Vrijwaring | Contact |
|
| Dit
is een
bewerking van het artikel dat is verschenen in de bundel Duizend
jaar Utrechtse rechtspraak. Van Sint-Paulusabdij tot Hamburgerstraat
onder
redactie van J. Hallebeek, H.J. Schepen en S.J.G.N.M. Willard
(Deventer 2000) 21-62. [1] In de literatuur treft men nogal eens het jaartal 1596 aan, hetgeen echter berust op een foutieve aantekening bij de resoluties van de Staten. Zie hiervoor C.A. van Kalveen, ‘De nalatenschap van de S. Paulusabdij te Utrecht’, in: Utrechters entre deux. Stad en Sticht in de eeuw van de Reformatie 1520-1620, red. H. ten Boom e.a. (Delft 1992) 43-66, aldaar 60 en 61, en 66, nt. 102 en 109. ![]() Afb. 2. Reconstructie van de laatmiddeleeuwse hoofdbebouwing van de abdij vanuit het zuidoosten. De kerk en de belangrijkste abdijgebouwen – eetzaal, slaapzaal, kapittelzaal en abtswoning – waren als gebruikelijk gegroepeerd rondom een kloostergang en pandhof. Van deze bebouwing zijn nog verschillende delen bewaard gebleven. (naar omslag Cultuurhistorische Effect-rapportage Hamburgerstraat 28-30, Utrechts Archief, tek. A.F.E. Kipp) [2] Zie voor een schets van de mentaliteit en het denken over monniken en kloosters, zoals zich dat sinds de Vroege Middeleeuwen, met name ook in de Karolingische tijd, ontwikkelde en daarna tot ongeveer in de twaalfde eeuw heeft gehandhaafd onder meer A. Angenendt, Das Frühmittelalter. Die abenländische Christenheit von 400 bis 900 (Stuttgart-Berlijn-Keulen 1990) 105, 333-334, 343-344, met name ook 401-402; J. van Engen, ‘The "crisis of cenobitism" reconsidered: Benedictine monasticism in the year 1050-1150’, Speculum. A Journal of medieval studies, 61 (1986) 269-304, aldaar 292-297. |
De Utrechtse
Sint-Paulusabdij en haar jurisdictie door Charlotte J.C. Broer en Martin W.J. de Bruijn Te citeren als: C.J.C. Broer en M.W.J. de Bruijn, ‘De Utrechtse Sint-Paulusabdij en haar jurisdictie’
(www.broerendebruijn.nl/RechtspraakSintPaulus.html, versie van [datum], geraadpleegd
op [datum]).
Inleiding Aanleiding tot deze publicatie was de verhuizing in 2000 van de Utrechtse rechtbank vanuit de Hamburgerstraat, waar al sinds 1595 het provinciaal gerechtshof van Utrecht en voordien de benedictijnerabdij van Sint-Paulus gevestigd was.[1] Daarmee werd een plek verlaten waar al 950 jaar jurisdictie was uitgeoefend. Recht werd er op deze plek namelijk niet pas gesproken sinds een deel van de voormalige abdijgebouwen werd toegewezen aan het hof. Ook in de tijd dat de Sint-Paulusabdij hier gevestigd was – dit wil zeggen sinds 1050 – was dit het geval. En dit gold rechtsuitoefening in zowel kerkelijk als wereldlijk opzicht. Aangezien met name dit laatste misschien op het eerste oog enigszins vreemd voorkomt, willen we eerst in het algemeen iets zeggen over hoe monniken en rechtspraak zich feitelijk tot elkaar verhielden. ![]() Afb. 1. Voorzijde van de Utrechtse rechtbank in 2000. Dit bouwdeel vormde de zuidelijke vleugel rond de kloostergang en pandhof van de Sint-Paulusabdij (zie afb. 2 en 3). Foto: M.W.J. de Bruijn. Monniken werden door de geloften die ze bij intreding in het klooster hadden afgelegd, geacht zich geheel van de wereld te hebben afgewend om zich volledig te kunnen wijden aan wat als hun voornaamste taak gold, namelijk het op gezette tijden, de canonieke uren, bidden tot God en het zingen van Zijn lof. In de kloostergemeenschap was in beginsel alles op het vervullen van die taak gericht en ingesteld. Een abdij en het terrein direct eromheen vormden meestal een duidelijk – vaak door muren, soms ook door sloten of grachten – van de wereld afgesloten geheel, dat bovendien immuniteit genoot ten opzichte van het algemeen geldende recht in het omliggende gebied, ongeacht of dit nu het platteland of een stad was. Een abdijterrein gold daarmee als afzonderlijk, kerkelijk rechtsgebied, waar de abt de rechtsmacht uitoefende, niet alleen over de monniken, maar ook over de binnen het gebied wonende en werkende leken, dat wil zeggen het personeel dat de abdij in dienst had. We komen hierop terug. Benedictijnerabdijen, hoewel in principe volledig autonoom, maakten deel uit van een bredere kerkelijke organisatie; zo waren er bijvoorbeeld relaties met de bisschoppen, die op verschillende manieren – als officieel toezichthoudende instantie, maar ook als eigenkloosterheer, dat wil zeggen feitelijk eigenaar van een klooster – macht over en invloed in een abdij konden uitoefenen. Dergelijke relaties konden voor een abdij soms ook een verdere inschakeling in de organisatie van de kerk betekenen. Zo was het mogelijk dat de abt, maar ook andere kloosterfunctionarissen door kerkelijke instanties werden ingeschakeld, bijvoorbeeld bij de uitoefening van kerkelijke rechtsmacht. Het was echter niet alleen kerkelijke of canonieke rechtspraak waarmee een middeleeuwse abdij als kerkelijke instelling te maken had. Het is namelijk een misverstand om te denken dat, althans in de Volle Middeleeuwen, een gemeenschap waarin monniken een van de wereld afgewend leven leidden daarmee ook volledig buiten de wereld stond. Dit was geenszins het geval, en dat niet eens alleen omdat het gehuldigde ideaal van wereldverzaking in de praktijk niet altijd te realiseren was. Het ideaal was eenvoudigweg anders. Afwending van de wereld voor gebed betekende niet dat men niet tegelijkertijd een belangrijke en duidelijke taak had in die wereld en de samenleving. Monniken werden oorspronkelijk geacht zeker niet alleen of zelfs in de eerste plaats voor het eigen zielenheil te bidden, ze deden dat juist ook ten behoeve van de wereld buiten het klooster. En die wereld hechtte van haar kant een zeer groot belang aan dit gebed door volledig daarop ingestelde en toegeruste kloosterlingen. Juist door hun leven van onthouding en zuiverheid werd vooral gebed van monniken door en voor die wereld als uitermate effectief beschouwd. Dit was de voornaamste reden waarom door belangrijke lieden – koningen, adel en bisschoppen – talrijke kloosters werden gesticht. Zij wensten zich aldus te verzekeren van de heilzame werking – ten behoeve van zichzelf, hun families en hun heerschappij – van de voortdurende, op gezette tijden plaatsvindende gebeden van wereldverzakende en zuiver levende monniken.[2] Om monniken in staat te stellen zich volledig toe te leggen op het zo belangrijk geachte gebed, was voor de kloostergemeenschap een zekere mate van bezit noodzakelijk, waarvan de inkomsten konden worden aangewend voor het onderhoud van de kloosterlingen. Bij het ontstaan van een klooster of abdij werd daartoe in het algemeen door de stichter(s) een zeker beginvermogen (een dos of bruidsschat) geschonken. Ook door anderen werden voorts vaak schenkingen gedaan, uiteraard ook in de verwachting te zullen delen in de heilzame effecten van het gebed van de monniken voor hun weldoeners. Meestal ging het bij dergelijke schenkingen om landbezit, maar ook wel om andersoortige rechten waaruit inkomsten voortkwamen, zoals patronaatsrechten ten aanzien van kerken, tiendrechten, munt- en tolrechten, en in veel gevallen – vaak verbonden met het landbezit – ook (wereldlijke) rechtsmacht. Een geestelijke instelling als een abdij had daarmee vaak belangrijke bezittingen en rechten, waardoor ze uiteindelijk toch steeds nauw met de wereld buiten het klooster in contact stond en ook met verschillende vormen van rechtspraak direct te maken had. Dit alles gold ook voor de Sint-Paulusabdij in Utrecht, zoals we in het hiernavolgende willen laten zien. In het korte bestek van een artikel zijn uiteraard niet alle aspecten van zowel de kerkelijke als wereldlijke rechtsmacht en rechtspraak waarbij de abdij betrokken was even diepgaand te behandelen. Een indruk van een en ander kan echter wel worden gegeven. Aangezien deze bundel zich concentreert op de plaats waar eerst de abdij, later het provinciaal hof van Utrecht en tot slot de Utrechtse rechtbank gevestigd waren, zullen we ook bij de behandeling van de jurisdictie deze plaats en haar directe omgeving centraal stellen. Alvorens hiertoe over te gaan, zal eveneens kort ingaan worden op de geschiedenis van de abdij en haar plaats binnen het bisdom, de stad en het Sticht Utrecht. Met het laatste is het wereldlijk machtsgebied van de bisschoppen bedoeld, bestaande uit het Nedersticht (ongeveer de huidige provincie Utrecht) en het Oversticht (Overijssel, Drenthe en de stad Groningen). |
[3] Het hiernavolgende is voornamelijk gebaseerd op de dissertatie van C.J.C. Broer, Uniek in de stad. De oudste geschiedenis van de kloostergemeenschap op de Hohorst bij Amersfoort, sinds 1050 de Sint-Paulusabdij in Utrecht: haar plaats binnen de Utrechtse kerk en de ontwikkeling van haar goederenbezit (ca. 1000-ca. 1200) (Utrecht 2000). In 2010 verscheen het overzichtswerk H. Hundertmark en K. van Vliet, De Paulusabdij. Achter de muren van Utrechts oudste klooster (Utrecht 2010). Voor kanttekeningen bij de titel van deze publicatie zie C.J.C. Broer, Utrechts oudste kloosters: Van Sint-Salvator tot Sint-Paulus (Utrecht 2007). [4] Oorkondenboek van Holland en Zeeland tot 1299, I, uitg. A.C.F. Koch (’s-Gravenhage 1970) nr. 81. De meest recente uitgave (naar Koch): P.A. Henderikx, ‘Onecht of echt? De bevestigingsoorkonde van bisschop Bernold van 26 juni 1050 voor de Sint-Paulusabdij te Utrecht’, in: Feestbundel aangeboden aan prof. dr. D.P. Blok, red. J.B. Berns e.a. (Hilversum 1990) 122-142, aldaar 137-138. [5] Zie vooral Alpertus van Metz, De diversitate temporum et fragmentum de Deoderico primo episcopo Mettensi, uitg. H. van Rij m.m.v. A. Sapir Abulafia (Amsterdam 1980) boek I, par. 1. [6] M.W.J. de Bruijn, Husinghe ende hofstede. Een institutioneel-geografische studie van de rechtspraak over onroerend goed in de stad Utrecht in de middeleeuwen, Stichtse Historische Reeks, 18 (dissertatie Universiteit van Amsterdam; Utrecht 1994) 76-77. [7] Zie onder meer de veertiende-eeuwse Catalogus episcoporum Ultrajectinorum, opgenomen in: ‘Drie Utrechtsche kroniekjes voor Beka’s tijd’, bew. S. Muller Fz., Bijdragen en Mededeelingen van het Historisch Genootschap, 11 (1888) 460-508, aldaar 491: Bernoldus - - - infra muros Traiectenses tres fundavit ecclesias, scilicet sancti Petri et sancti Johannis, in quibus canonicos ordinavit, et sancti Pauli, ad quam traxit monachos, quos Ansfridus in Sacro Monte instituerat; unam vero eciam in Davantria ecclesiam construxit in honore sancti Lebuini, quam dotibus pulcherrimis decoravit. [8] A.J.J. Mekking, ‘Een kruis van kerken rond Koenraads hart. Een bijdrage tot de kennis van de functie en de symbolische betekenis van het Utrechtse kerkenkruis alsmede van die te Bamberg en te Paderborn’, in: Utrecht. Kruispunt van de Middeleeuwse kerk, Clavis Kunsthistorische Monografieën, VII (Utrecht 1988) 21-53. [9] Broer, Uniek in de stad, 111-126, en dezelfde, Het Utrechts kerkenkruis: feit of fictie? Een beoordeling in het licht van de vroege ontwikkeling van de Utrechtse kerk (Utrecht 2001). [10] S. Muller Fz. in het in 1898 gepubliceerde ‘De St. Salvatorkerk te Utrecht. Eene Merovingische kathedraal’, Archief voor de geschiedenis van het aartsbisdom Utrecht, 25 (1898) 21-73, aldaar 59, noot 2, waarbij hij verwijst naar A. Tibus, Die Stadt Münster (Münster 1882) 51 en 263. Mullers artikel verscheen eerder – opmerkelijk genoeg nog zonder vermelding van een Utrechts kerkenkruis – in 1897, in het Duits, in: Westdeutsche Zeitschrift für Geschichte und Kunst. Van een kerkenkruis spreekt Muller vervolgens ook in zijn Oude huizen te Utrecht (1ste druk ’s-Gravenhage 1902; 2de druk Utrecht 1911) 8. |
Het
ontstaan van de abdij op de Hohorst en de Sint-Paulusabdij in Utrecht[3] Op 26 juni 1050 werd in het bijzijn van verschillende bisschoppen van elders de kerk van een nieuwe abdij in Utrecht ingewijd. In de oorkonde die ter gelegenheid van deze inwijding is opgemaakt,[4] stelt de toenmalige bisschop van Utrecht, Bernold (1027-1054), dat hij deze abdij ten behoeve van degenen die volgens de regel van Benedictus wensen te leven had laten bouwen direct ten zuiden van de bisschoppelijke burcht in Utrecht, waarbinnen zich toen reeds de kapittelkerken van Sint-Maarten (de dom) en Sint-Salvator (Oudmunster) bevonden. Naar deze nieuwe abdij, die bekend zou staan als de Sint-Paulusabdij, had Bernold de gemeenschap van monniken laten overbrengen die ongeveer een halve eeuw eerder door toedoen van zijn voorganger Ansfried (995-1010) was ontstaan op de Hohorst nabij Amersfoort. Ansfried, die zich op latere leeftijd tot een vroom leven geroepen voelde, had behoefte gehad aan een plek om zich bij tijd en wijle in eenzaamheid en los van zijn beslommeringen als bisschop te kunnen wijden aan gebed. Op een natuurlijke hoogte, die gelegen was aan de rivier de Eem en de Hohorst was geheten, had hij daarom een cel laten bouwen waar hij zich, wanneer hij dat wilde, kon terugtrekken.[5] Tot dit leven voelden echter meer mensen zich aangetrokken, waarschijnlijk vooral leden van de tegen het eind van de zevende eeuw door Willibrord zelf gestichte gemeenschap van Sint-Salvator, waar zich in Utrecht tot dan toe het monastieke leven had gehandhaafd, maar in deze tijd de tendens bestond zich te ontwikkelen tot een gemeenschap van kanunniken, een kapittel. Kanunniken hadden weliswaar een zelfde taak als monniken, namelijk het verrichten van koorgebed op de canonieke uren, maar hun levenswijze was minder streng gereguleerd en van de wereld afgewend. Een belangrijk verschil met het leven van monniken was dat kanunniken geen gelofte van armoede aflegden en dus eigen bezit konden hebben, hetgeen op den duur onder meer betekende dat ze niet altijd meer in gemeenschap, maar in afzonderlijke – meestal wel binnen het immunitaire kapittelterrein gelegen ‑ huizen woonden.[6] Die ontwikkeling binnen de oude oorspronkelijke kloostergemeenschap van Sint-Salvator in Utrecht lijkt ertoe te hebben geleid dat een deel van degenen die zich hierin niet konden vinden, vertrokken is naar de Hohorst om daar een strikter monastiek leven te leiden. Er vormde zich aldus een nieuwe gemeenschap, waar enige jaren later – waarschijnlijk ten tijde van bisschop Adelbold (1010-1026) – de regel van Benedictus werd ingevoerd als leidraad voor dat monastieke leven. Deze kloostergemeenschap nu werd door bisschop Bernold omstreeks het jaar 1050 naar Utrecht gehaald. De stichtingen van bisschop Bernold Deze verhuizing stond niet op zich. Bisschop Bernold is vooral bekend geworden om zijn uitgebreide bouw- en stichtingsactiviteiten in de stad Utrecht, maar ook elders. Hij geldt volgens de bronnen als de bouwheer van de Sint-Lebuinuskerk in Deventer en in zijn bisschopsstad zelfs van verschillende grote stenen kerken, waaraan bij de stichting bovendien nieuwe gemeenschappen van kanunniken werden verbonden.[7] Zo werd waarschijnlijk in 1048 de kerk van Sint-Pieter gewijd en omstreeks 1050 die van Sint-Jan. Met de bouw van deze kerken respectievelijk ten oosten en ten noorden van de bisschoppelijke burcht op het huidige Domplein en van een kerk voor de Sint-Paulusabdij ten zuiden hiervan, heeft Bernold, zo wordt verondersteld, een kruis van kerken willen bouwen rondom de kathedrale Sint-Maartenskerk of dom. Aan dit idee van een kerkenkruis zouden allerlei vergaande christelijk- en politiek-allegorische noties ten grondslag hebben gelegen. De opzet als geheel zou overigens pas tegen het eind van de elfde eeuw voltooid zijn geweest met de bouw – ten westen van de bisschoppelijke burcht – van de kerk en het kapittel van Sint-Marie door een opvolger van Bernold, bisschop Koenraad (1076-1099).[8] Met hoeveel verve ook gebracht, dient dit idee van een middeleeuwse kerkenkruis voor Utrecht te worden losgelaten. Feitelijk beschikken we namelijk over geen enkele aanwijzing dat door Bernold of eventueel later door Koenraad met de bouw van de genoemde kerken de aanleg van een kerkenkruis werd beoogd en er bovendien met de zo uitgesproken ideeën over een dergelijk kruis een elfde-eeuwse realiteit is weergegeven.[9] Zelfs van een middeleeuws concept van een kerkenkruis lijkt eenvoudigweg geen sprake te zijn. Veeleer is er reden om aan te nemen dat het hierbij gaat om een constructie en interpretatie achteraf. Voor zover we hebben kunnen nagaan is het de Utrechtse rijks- en gemeentearchivaris Samuel Muller Fz. geweest, die tegen het eind van de negentiende eeuw – in navolging van auteurs die voor verschillende Duitse bisschopssteden uitgingen van het bestaan van kerkenkruisen – voor het eerst van een Utrechts kerkenkruis sprak.[10] Het idee is voorts in de loop van de twintigste eeuw verder uitgewerkt en heeft vrij algemeen ingang gevonden.[11] Bernolds bouw- en stichtingsactiviteiten dienen we veeleer te zien in het licht van de taak die hij als bisschop had, te weten het ‘vermeerderen van de goddelijke eredienst’. Een bisschop in die tijd diende er zorg voor te dragen dat in met name de eigen bisschopsstad zo veel mogelijk door voortdurend koorgebed en gezang Gods lof zou weerklinken. Hiertoe diende hij in beginsel alle middelen die hem ter beschikking stonden aan te wenden.[12] De bisschoppen van Utrecht nu hebben gedurende de gehele elfde eeuw steeds bijzonder goede relaties onderhouden met de Duitse koningen en keizers, die in de kerk en de bisschoppen in de verschillende delen van hun rijk een belangrijke steunpunt zagen voor hun gezag (rijkskerkstelsel) en hun daarom ook tal van belangrijke schenkingen deden van (land)bezit, belangrijke en lucratieve rechten, maar die op een gegeven moment vooral ook wereldlijke macht en overheidsgezag aan de door henzelf benoemde (rijks)bisschoppen overdroegen. Aldus nam in deze periode ook het vermogen van de Utrechtse kerk en haar bisschoppen toe. Deze uitbreiding van het kerkelijk vermogen heeft Bernold en later ook zijn opvolger Koenraad in staat gesteld om – overeenkomstig hun taak en plicht als bisschop – hun stad te voorzien van verscheidene grote kerken, waar kanunniken van de aan die kerken verbonden kapittels hun geregelde koorgebed verrichtten en Gods lof zongen. Vanuit het toegenomen algemeen vermogen van de Utrechtse kerk kregen deze nieuwe instellingen bij hun ontstaan, maar ook daarna nog wel, delen als eigen vermogen toebedeeld, dat in de eerste plaats moest dienen voor het onderhoud van de kanunniken en de kerk waar ze dienst deden. Daarnaast zullen deze instellingen door het bezit dat ze verspreid over het hele bisdom verwierven waarschijnlijk ook hebben gefungeerd als steunpunten voor de bisschop als rijksbisschop en daarmee het rijksgezag. |
![]() Afb. 3. Plattegrond van de abdij-immuniteit met het ‘kappenplan’ van de bebouwing. Aan de westzijde zijn delen van de oorspronkelijke grenssloot en de van omstreeks 1280 daterende abdijmuur teruggevonden. De Oudmunstertrans (thans Trans) aan de noordzijde dateert van 1283. Vóór die tijd strekte het abdijterrein zich een aantal meters verder naar het noorden uit. In de directe omgeving van de immuniteit bevonden zich onder meer: A. het perceel van Johan Dole op de hoek van de Donkere Gaard en het Wed, waarover deze een conflict had met het kapittel van Oudmunster en waarbij de prior van de Sint-Paulusabdij optrad als gesubdelegeerd rechter; B. de hoek van het abdijterrein die de kanunnik en scholaster van Oudmunster Wolfert van Medemblik ten gebruike kreeg voor de bereikbaarheid van zijn zomerhuis en waarbij de abdijmuur ondergronds intact moest blijven. (naar tek. A.F.E. Kipp) [13] R.R. Post, Geschiedenis der Utrechtsche bisschopsverkiezingen tot 1535 (Utrecht 1933) 23-24, 36, 57-58 en 61-62. [14] R.R. Post, Kerkgeschiedenis van Nederland in de middeleeuwen, 2 dln. (Utrecht-Antwerpen 1957) I, 138-155; Van Engen, ‘The “crisis of cenobitism” reconsidered’, 301-304; C.H. Lawrence, Medieval Monasticism. Forms of religious life in Western Europe in the Middle Ages (2de editie; Londen-New York 1989) 150-151; L. Milis, ‘De kerk tussen de Gregoriaanse hervorming en Avignon’, in: Algemene Geschiedenis der Nederlanden [AGN], red. D.P. Blok e.a., dl. 3 (Haarlem 1982) 166-211 177-185. [15] B. van den Hoven van Genderen, ‘Kanunniken, kloosters en kerkgebouwen in laat-middeleeuws Utrecht’, in: Utrecht tussen kerk en staat, red. R.E.V. Stuip en C. Vellekoop (Hilversum 1991) 197-225, aldaar 199 en 201. [16] C. Damen, ‘Over de St. Paulusabdij van Utrecht’, Jaarboekje van “Oud-Utrecht” 1957, 29-49, aldaar 37-38. [17] Vergelijk in dit verband Van den Hoven van Genderen, a.w., 203-204, over de afkomst van de Utrechtse kanunniken. [18] Damen, ‘Over de Sint-Paulusabdij’, 44-45; J.W.C. van Campen, ‘De dood in de Paulusabdij’, Jaarboek Oud-Utrecht 1981, 175-183, aldaar 177-178. [19] Damen, a.w., 45-46; Van Campen, a.w., 175-176. [20] Damen, a.w., 46-47; Van Kalveen, ‘De nalatenschap van de S. Paulusabdij’, 43-44. [21] Van Kalveen, a.w., 45-49. [22] Aldaar, 52-56. [23] Aldaar, 59-61. |
De
plaats
van de abdij binnen de Utrechtse kerk Evenals eerder waarschijnlijk het geval was geweest met de gemeenschap van de dom, werden de drie in de elfde eeuw ontstane kapittels van Sint-Pieter, Sint-Jan en Sint-Marie geacht te zijn voortgekomen uit de oudste gemeenschap in Utrecht, de door Willibrord zelf gestichte kloostergemeenschap – het monasterium – van Sint-Salvator of Oudmunster. Aan deze moederinstelling van de Utrechtse kerk ontleenden ze niet alleen hun afzonderlijke patrocinia; samen met Sint-Salvator en dom zouden ze juist vanwege die oorsprong ook steeds gezamenlijk die Utrechtse kerk vormen en daarom meedelen in het vermogen van diezelfde kerk. Hetzelfde nu was ook het geval met de Sint-Paulusabdij. Zoals al werd opgemerkt, had ook de gemeenschap op de Hohorst haar oorsprong gehad in de gemeenschap van Sint-Salvator in Utrecht en werd ze daarom beschouwd als een loot aan de stam van de Utrechtse kerk en feitelijk zelfs als de enige echt monastieke opvolgster van het oude monasterium van Willibrord. Aangenomen mag worden dat dit voor bisschop Bernold een belangrijke reden is geweest om, toen hij zijn bisschopsstad wenste te voorzien van verschillende grote kerken met daaraan verbonden gemeenschappen van geestelijken die speciaal waren toegerust voor de dienst in die kerken, juist ook de abdij van de Hohorst (terug) naar Utrecht te halen. Groot belang zal bovendien zijn gehecht aan de aanwezigheid van vooral ook monniken in de bisschopsstad zelf, vanwege de hiervoor genoemde effectiviteit van juist hun gebed ook voor anderen in hun omgeving. Aldus kreeg de kloostergemeenschap van de Hohorst nu als Sint-Paulusabdij naast haar zusterinstellingen, de kapittels, een plaats in Utrecht toegekend, en wel ten zuiden van de bisschoppelijke burcht. Hier verrezen een grote stenen kerk en de verschillende abdijgebouwen. In beginsel werd het abdijterrein omgrensd door in het noorden de toenmalige burchtgracht, gelegen iets ten noorden van de huidige Trans, in het zuiden door de Hamburgerstraat, in het oosten de huidige Nieuwegracht, die indertijd Oudelle werd genoemd, en in het westen een sloot die lag ten westen van de huidige Korte Nieuwstraat. Deze laatste straat bestond in de tijd dat de abdij hier gevestigd was nog niet. Ze werd pas in 1618 over het terrein van de toen inmiddels opgeheven abdij aangelegd. Aanvankelijk is het abdijterrein waarschijnlijk niet geheel door muren omgeven geweest. In het westen en noorden zijn namelijk resten van een sloot teruggevonden. Later, mogelijk in de dertiende eeuw, werd het terrein echter wel volledig ommuurd. We komen over de situering van de abdij nog nader te spreken. Behalve in ruimtelijk opzicht werd de in principe gelijkwaardige plaats van de abdij naast en temidden van haar zusterinstellingen, de kapittels, ook tot uitdrukking gebracht door de wijze waarop ze evenals die kapittels deelde in het toentertijd nog steeds groeiende vermogen van de Utrechtse kerk en ze ook – in de persoon van de abt – betrokken was bij bijvoorbeeld het bestuur van het bisdom. Zeer prominent temidden van de kapittelproosten zien we in de elfde en twaalfde eeuw de abt van Sint-Paulus zijn plaats hebben in de entourage van de bisschop. Zo maakte hij deel uit van de bisschoppelijke raad en vinden we hem in die hoedanigheid in oorkonden als getuige bij rechtshandelingen vermeld. Aanwijzingen zijn er bovendien dat de abt (en de monniken), toen in het begin van de twaalfde eeuw de bisschopskeuze een zaak van vooral de geestelijkheid van de Utrechtse kerk werd, aanvankelijk ook bij deze verkiezing betrokken zijn geweest. Eerst later, tegen het eind van de twaalfde en het begin van de dertiende eeuw, zou die verkiezing van de bisschop voorbehouden worden aan de vijf Utrechtse kapittels en de proosten van een aantal kapittels elders in het bisdom.[13] Hoe belangrijk de positie van de Sint-Paulusabdij in de elfde en ook de twaalfde eeuw ook was, we zien dat in de loop van de twaalfde eeuw verschillende ontwikkelingen op algemeen kerkelijk en ook monastiek gebied de positie van de abdij sterk hebben doen veranderen. Deze periode wordt vooral gekenmerkt door de opkomst van andere kloosters en abdijen, van ook nieuwe kloosterorden als die van de norbertijnen of premonstratenzers en de cisterciënzers, die in bepaalde opzichten als strenger golden en ook een nieuw soort spiritualiteit belichaamden.[14] Deze nieuwe kloostergemeenschappen trokken de aandacht van niet alleen de bisschoppen maar ook gewone gelovigen meer naar zich toe en deden die voor de traditionele benedictijner Sint-Paulusabdij afnemen. Dit kwam onder meer tot uitdrukking in de afnemende of zelfs achterwege blijvende materiële begunstiging van de abdij door diezelfde bisschoppen maar ook de in die tijd belangrijker wordende adelskringen. Minstens zo belangrijk was voorts dat er in deze periode geleidelijk een steeds groter en duidelijker onderscheid ontstond tussen (seculiere) kapittels enerzijds en kloosters, abdijen en ook reguliere kapittels anderzijds. De taken van (seculiere) kanunniken en monniken, die zoals we hebben opgemerkt in beginsel dezelfde waren – namelijk koorgebed en dienst aan God op gezette tijden –, werden op den duur toch meer als verschillend gezien; dit dan vooral in de zin dat – terwijl (seculiere) kanunniken ook nadrukkelijk geacht werden zowel in kerkelijk als ook in wereldlijk opzicht bestuurlijke taken te hebben en zich ontwikkelden tot de belangrijkste geestelijken van het bisdom – dit sinds de twaalfde eeuw voor monniken in het algemeen juist steeds minder gepast werd geacht.[15] Dat had tot gevolg dat de positie van de Sint-Paulusabdij naast en temidden van de Utrechtse kapittels zich begon te wijzigen. Terwijl die laatste zich in de loop van de tijd duidelijker profileerden als instellingen die gezamenlijk de Utrechtse kerk vormden, voor wie als zodanig bepaalde taken en privileges waren gereserveerd, slaagde de abdij er op den duur steeds minder in die in beginsel gelijke en gelijkwaardige positie naast de kapittels als deel van de Utrechtse kerk te handhaven. Bij tal van zaken – vooral het bestuur van kerk en bisdom betreffend – werd de abdij of haar abt steeds minder betrokken, voorrechten die gebaseerd waren op die oude positie gingen deels verloren en uiteindelijk werd de abdij – anders dan de kapittels – niet meer echt gerekend tot de ecclesia Traiectensis, de Utrechtse kerk. Meer dan met haar zusterinstellingen, de kapittels, werd de abdij op den duur vergeleken met andere, veel jongere kloosters en abdijen, die zoals gezegd in populariteit en aantrekkingskracht Sint-Paulus uiteindelijk ook naar de kroon staken. Deze ontwikkeling, hoe belangrijk ook, nam niet weg dat de abdij de gehele Middeleeuwen door een belangrijke instelling was en bleef. Sint-Paulus gold nog steeds als een oude en eerbiedwaardige abdij, stichting van de als heilige vereerde bisschop Ansfried, een instelling die bovendien ook rijk was aan bezittingen en rechten, niet alleen in het Sticht – dat was zoals gezegd het wereldlijk gebied van de bisschop van Utrecht – maar verspreid over het hele bisdom. En ondanks het feit dat hij bij bisschopsverkiezingen en in de kring van bestuurders van het Sticht en het bisdom, het kapittel-generaal, geen plaats meer had, was de abt van Sint-Paulus door de rol die hij in andere opzichten vervulde, en bijvoorbeeld de bezittingen en rechtsmacht die hij in zowel de stad als elders in het bisdom had, toch een belangrijk personage.[16] Belangrijk, prestigieus en ook betrekkelijk exclusief is de abdij daarna gedurende haar hele bestaan gebleven. Voor zover daar onderzoek naar is gedaan, blijkt ze haar monniken – vanouds waren dat er slechts twaalf met een volledige prebende – vooral gerecruteerd te hebben uit de kringen van de Stichtse adel en de hogere stedelijke burgerij.[17] Een zekere rol heeft de Sint-Paulusabdij ook in de vijftiende eeuw nog gespeeld bij de invoering van de gebruiken van de monastieke hervormings- of observantiebeweging van Bursfeld. Als een van de eerste abdijen in deze streken sloot ze zich in 1469 aan bij deze congregatie of unie, hetgeen overigens aanvankelijk niet veel effect schijnt te hebben gehad voor de activering van het geestelijk leven. Eerst in 1484 werd er na een visitatie door enkele andere abten een einde gemaakt aan bepaalde niet nader aangeduide misstanden en de abdij ‘hervormd’. De abdij gold sindsdien als een goede observantieabdij, terwijl de abten sindsdien tot in de zestiende eeuw actieve leden waren van de Unie en het Generaal Kapittel van Bursfeld.[18] In de loop van de zestiende eeuw heeft de Sint-Paulusabdij ten slotte echter te maken gekregen met verscheidene tegenslagen. Zo kwam bijvoorbeeld een onbekende epidemie in 1528 hard aan in de vanouds betrekkelijk kleine monnikengemeenschap. In korte tijd stierven er een negental monniken.[19] Verder werden er van de kant van de wereldlijke overheid, de zowel op kerkelijk als wereldlijk bestuurlijk gebied naar centralisatie strevende Habsburgers, pogingen gedaan een deel van het vermogen van de abdij te bestemmen voor de financiering van de in 1559 tot stand gekomen nieuwe indeling in bisdommen voor de Nederlanden. Met name de Gelderse goederen van de abdij zouden, zo werd in 1561 bepaald, gaan behoren tot de tafelgoederen van de nieuw te benoemen aartsbisschop van Utrecht. Uiteraard verzette de abdij zich hiertegen, hetgeen jarenlange rechtszaken en verwikkelingen heeft opgeleverd.[20] Geleidelijk deden zich voorts ook de effecten voelen van de doordringende Hervorming en de Opstand. Waren gedurende reeds langere tijd de inkomsten uit kerken en tienden, maar ook uit andere bezittingen, waaruit vaste geldbedragen moesten worden betaald, teruggelopen en vaak ook minder waard geworden, de Opstand bracht met zich mee dat de abdij op een gegeven moment geheel afgesneden raakte van bepaalde bezittingen en vaak helemaal niets meer aan opbrengsten daaruit ontving. In 1580 werd de Sint-Paulusabdij – nadat haar kerk kort tevoren al een keer was getroffen door een beeldenstorm – formeel opgeheven, toen in de stad Utrecht de uitoefening van de rooms-katholieke godsdienst werd verboden. De monniken werden op een pensioen gezet en bleven vooralsnog in de abdij wonen. De bezittingen en rechten van de abdij gingen evenwel in 1586 over in handen van de Staten van Utrecht,[21] die besloten de inkomsten uit het voormalig abdijbezit behalve voor de pensioenen voor de monniken vooral ook voor de opleiding van hervormde predikanten aan te wenden. In een deel van de abdijgebouwen werd voorts in 1593 het Collegium Paulinum gevestigd, een seminarie bestemd voor de voorbereidende vorming van theologiestudenten, terwijl in 1595 de abdijkerk in gebruik werd gegeven aan de kanunniken van het geseculariseerde kapittel van Oudmunster, wier kerk enkele jaren daarvoor was afgebroken.[22] Het grootste deel van de abdijgebouwen is echter omstreeks diezelfde tijd dienst gaan doen als zetel van het provinciaal gerechtshof van Utrecht.[23] Na deze inleidende beschouwingen over de plaats van de abdij binnen het bisdom, de stad en het Sticht Utrecht, gaan we ons nu richten op de jurisdictie die de abdij heeft uitgeoefend. Hierbij zullen eerst de kerkelijke en daarna de wereldlijke rechtsmacht behandeld worden. Tot slot zal nog aandacht worden besteed aan de problematiek van de botsing van het kerkelijk en het wereldlijk recht. |
| [24] Voor
het hierna
volgende is hoofdzakelijk gebruik
gemaakt van W.
Nolet en P.C. Boeren, Kerkelijke instellingen in de
Middeleeuwen (Amsterdam
1951), aldaar 4-19; E.J.J. van der Heijden, Aantekeningen bij
de geschiedenis
van het oude vaderlandse recht, 8ste druk, bew. B.H.D.
Hermesdorf
(Nijmegen-Utrecht 1968) 72-75; J.Ph. de Monté ver Loren, Hoofdlijnen
uit de
ontwikkeling der rechterlijke organisatie in de Noordelijke
Nederlanden tot
de Bataafse omwenteling, 6de druk, bew. J.E.
Spruit (Deventer 1982) 33-38.
Voor
de kerkelijke
rechtspraak in Nederland: S.J. Fockema Andreae, Bijdragen tot
de
Nederlandsche rechtsgeschiedenis, V (Haarlem 1914) 71-127. [25] Een uitzondering hierop vormde de zogeheten seendrechtspraak, waarbij schepenen als vonniswijzers optraden (Nolet en Boeren, Kerkelijke instellingen, 307-308). [26] Lawrence, Medieval monasticism, 26-31 en 114-115. [27] Zie bv. Oorkondenboek van het Sticht Utrecht tot 1301 [OSU], uitg. S. Muller Fz. e.a., 5 dln. (Utrecht-’s-Gravenhage 1920-1949), dl. V, nr. 2660 (2 december 1294). [28] Henderikx, ‘Onecht of echt?’, 137-138. [29] De Bruijn, Husinghe ende hofstede, 79-170. Een samenvatting door dezelfde auteur: ‘De burcht Trecht’, in: Kastelen en ridderhofsteden in Utrecht, red. B. Olde Meierink e.a. (Utrecht 1995) 429-432. [30] De Bruijn, Husinghe ende hofstede, 87-100. [31] A.w., 171. [32] Aldaar, 91-93. [33] Aldaar, 351-353. [34] Aldaar, 353-355. [35] OSU III, nr. 1389. [36] C.L. Temminck Groll, De Romaanse kerken van Utrecht (Utrecht 1988) 26-29; A. van Deijk, Romaans Nederland (Amsterdam 1994) 200-201. [37] C. Dekker, ‘De vorming van aartsdiakonaten in het diocees Utrecht in de tweede helft van de 11e en het eerste kwart van de 12e eeuw’, K.N.A.G. Geografisch Tijdschrift, nwe. rks., XI (1977) 339-360, aldaar 340-341. [38] A.w., 343. [39] Aldaar, 344, 346 en 355. [40] Abten van abdijen die gevestigd waren buiten het bisdom (bijvoorbeeld van Echternach) of als eigenklooster onder invloed van leken stonden (zoals Egmond) zullen niet in aanmerking zijn gekomen voor een dergelijke verlening. [41] Broer, Uniek in de stad, 142-143. [42] Over de bisschoppelijke officiaal zie: F. Ketner, ‘Het officialaat in het bisdom Utrecht’, in: Stichtse studiën (Utrecht 1974) 10-20; en C. de Glopper-Zuijderland, ‘De officiaal van Utrecht als beoorkonder van vrijwillige rechtshandelingen ten behoeve van vijf Utrechtse kapittels in de 14de eeuw’, Verslagen en Mededelingen van de Stichting tot uitgaaf der bronnen van het Oud-Vaderlandse Recht, nwe. rks., 3 (1982) 87-159. [43] OSU V, nr. 3037 (384bis) (1145 maart 23). [44] OSU III, nr. 1646 (1264 december 24). [45] De Bruijn, Husinghe ende hofstede, 89-91. Een dergelijk wed bestaat nog bij de Ganzenmarkt in Utrecht. [46] OSU V, nr. 2754. [47] A.w., nr. 3015: coram religioso viro domino priore monasterii beati Pauli Traiectensis, iudice subdelegato a venerabili viro domino decano ecclesie Daventriensis, iudice a domino papa deputato. [48] Rijksarchief in Utrecht [RAU], Archief van het kapittel van Oudmunster [Oudmunster], nr. 992-2. [49] RAU, Oudmunster 992-3, 992-4, 992-5 en 992-6. [50] RAU, Oudmunster 993 (1302 februari 28). [51] Zie bv. K. Hofmann, Die engere Immunität in deutschen Bischofsstädten im Mittelalter (Paderborn 1914). |
Kerkelijke
rechtspraak[24] Inleiding In de Middeleeuwen was sprake van twee gescheiden rechtssferen, die van het wereldlijk en die van het kerkelijk recht. Het canoniek of kerkelijk recht strekte zich uit over personen en zaken die geacht werden tot de kerk te behoren. Het ging hierbij in de eerste plaats om alle geestelijken, mannen die kerkelijke wijdingen hadden ontvangen, en van mannelijke of vrouwelijke kloosterlingen, die op zijn minst de kerkelijke geloften van armoede, dit wil zeggen afstand van eigen bezit, van gehoorzaamheid aan hun kerkelijke oversten en van onthouding van seksueel verkeer hadden afgelegd, en verder over personen die weliswaar geen geestelijke of kloosterling waren maar wel in directe dienst van een kerkelijke instelling stonden. Zij allen waren in beginsel niet onderworpen aan de wereldlijke rechtspraak, maar aan die van de kerk. Ook stonden sommige categorieën hulpbehoevenden onder bescherming van het kerkelijk recht, zoals studenten, reizigers, armen, weduwen en wezen. Dit wil dus zeggen dat alle zaken waarbij een van de partijen tot de genoemde categorieën personen behoorde onder de kerkelijke rechtspraak vielen. Voorts waren er zaken die canoniekrechtelijk behandeld dienden te worden, ook al waren er alleen personen bij betrokken die onder het wereldlijk recht vielen. Het ging hierbij om kwesties die het geloof betroffen, over kerkelijke goederen, maar ook meineed, eedbreuk, vragen rond de geldigheid van testamenten en rond verloving en huwelijk. Tot slot waren er territoriale gebieden waar het kerkelijk recht van toepassing was op al degenen die zich binnen dat territoir bevonden. Het ging hierbij om de zogeheten lokale immuniteitsgebieden: men was daar ‘immuun voor’ – dit wil zeggen onttrokken aan – de wereldlijke rechtspraak. Het ging bij deze immuniteiten niet alleen om de kerken en kerkelijke gebouwen maar ook om het afgebakende gebied daaromheen. Ook het hele terrein van de Sint-Paulusabdij, ongeveer anderhalve hectare groot, vormde aldus een lokale immuniteit binnen het wereldlijk rechtsgebied van de stad Utrecht. Het recht waarnaar de kerk bestuurd werd, werd geacht Romeins recht te zijn. Maar de directe kennis van dit Romeinse recht was tot de twaalfde eeuw beperkt. Daarna werd echter, mede door de toenemende belangstelling en kennis, de invloed ervan steeds groter. Als bronnen van het kerkelijk recht golden vanouds, naast de bijbel en de geschriften van de kerkvaders, de verordeningen van de pausen en van de algemene kerkvergaderingen voor de hele kerk (concilies) en van de bisschoppen en de bisschoppelijke vergaderingen voor de diocesen (synodes), kerkelijke wetgeving van algemene aard en locale rechtsoptekeningen. Ook het gewoonterecht speelde de hele Middeleeuwen door een belangrijke rol in het canonieke recht. De kerkelijke jurisdictie werd onder meer gekenmerkt door het feit dat er – anders dan in de toenmalige wereldlijke rechtspraak het geval was – doorgaans geen sprake was van collegiale rechtspraak; meestal werd er uitspraak gedaan door één enkele daartoe aangewezen rechter.[25] Anders dan in het wereldlijk recht was er tevens een grote mate van schriftelijkheid. Ook de getuigenverklaringen werden op schrift gesteld. De rechtspraak was minder formalistisch dan de wereldlijke; godsoordelen en gerechtelijke tweekamp werden in deze sfeer niet toegepast. De kerkelijke rechter paste echter alleen kerkelijke sancties toe. Daartoe behoorden de opschorting van de kerkelijke bediening voor hele gemeenschappen (interdict) en het buiten de gemeenschap van de kerk plaatsen voor individuen (excommunicatie). De mogelijkheid tot lijfstraffen was beperkt, maar de kerkelijke rechter kon een veroordeelde wel overleveren aan de wereldlijke rechter, die vervolgens de doodstraf of een verminkende straf kon uitspreken en toepassen. Geestelijken werden om dit mogelijk te maken eerst door de kerkelijke rechter uit de geestelijke stand gezet. Rechtspraak binnen het immuniteitsgebied Zoals gezegd vormde het abdijterrein een lokaal immuniteitsgebied. Men was hier ‘immuun’ voor het wereldlijk recht en de wereldlijke rechtspraak. De geestelijken – in dit geval de abt en de monniken – oefenden binnen zo’n immuniteit zelf regelgeving, bestuur en rechtspraak uit volgens het kerkelijk recht. Tot de geloften van een monnik die volgens de regel van Benedictus verkoos te leven behoorde, zoals we gezien hebben, onder meer de gelofte van gehoorzaamheid. De monnik diende bereid te zijn de eigen wil totaal op te geven en zichzelf te plaatsen onder het gezag van en zich te voegen naar de wil van een overste of abt, die de persoon van Christus representeerde. Door zich aldus geheel te richten op het voorbeeld van Christus die ‘gehoorzaam was tot in de dood’, zou de monnik de eerste daad van ongehoorzaamheid jegens God door Adam en Eva begaan ongedaan kunnen maken. Hij werd daarom geacht alle bevelen en opdrachten van de abt zonder meer op te volgen. De abt kon weliswaar niet iets opdragen wat tegen Gods wet of tegen de kloosterregel inging, maar voor het overige was zijn beslissingsbevoegdheid absoluut. Volgens de regel diende de abt voordat hij een beslissing nam wel advies in te winnen van de monniken, maar hij was door dit advies niet gebonden. De uiteindelijk dus volledige zeggenschap en macht betekende dat de abt ook, wanneer een monnik zijn plichten verzaakte, ongehoorzaam en weerspannig was, kon terechtwijzen, beoordelen en bestraffen. Dit gebeurde in het algemeen in de dagelijks na de ochtendmis plaatsvindende kapittelvergaderingen, waarin verder ook allerlei andere zaken die de kloostergemeenschap aangingen besproken werden.[26] Het was echter niet alleen over de monniken dat de abt binnen de immuniteit recht kon spreken. Vaak leefden er binnen dit gebied ook verschillende leken, die als personeel dienst deden in de abdij en werden aangeduid als de familia van een abdij. Ook zij vielen in het algemeen onder de rechtsmacht van de abt. Het abdijterrein als immuniteit vormde aldus duidelijk een enclave binnen het omliggende gebied waar het wereldlijk recht gold. Een dergelijke situatie was in een kerkelijke stad als Utrecht allesbehalve uitzonderlijk; uitgerekend is dat ongeveer een derde deel van het stadsgebied kerkelijk was. Het ging hierbij om de terreinen rondom de kapittel- en kloosterkerken, maar ook de kerkhoven van de vier parochiekerken vormden volgens de regels van het canonieke recht een lokale immuniteit.[27] De situering van het immunitaire abdijterrein van Sint-Paulus houdt nauw verband met de ontwikkeling van de stad Utrecht. In de oorkonde uit 1050 betreffende de overbrenging werd gezegd dat de abdij gelegen was ten zuiden van de Utrechtse burcht (in meridiana plaga eiusdem urbis).[28] De burcht, Traiectum of Trecht geheten, lag op de linkeroever van de Rijn en dateerde nog uit de Romeinse tijd. Dit ongeveer rechthoekige castellum was na het vertrek van de Romeinen in gebruik genomen door Friezen en Franken. Hier werden de eerste Utrechtse kerken gebouwd, waarin ook de bisschopszetel werd geplaatst. Waarschijnlijk was de Utrechtse burcht in de tiende eeuw door bisschop Balderik aan de westzijde enigszins vergroot.[29] Kort voor de overbrenging van de abdij in 1050 zal het ook aan de noord-, oost- en westzijde enkele tientallen meters zijn uitgelegd. Van een echte versterking was toen waarschijnlijk geen sprake meer.[30] Onmiddellijk ten oosten van het uitgelegde burchtgebied werd de kapittelkerk van Sint-Pieter gebouwd. Zij werd waarschijnlijk in 1048 gewijd.[31] Het tegenwoordige Achter Sint-Pieter vormde de grens tussen de burcht met het immuniteitsgebied van de dom en dat van het kapittel van Sint-Pieter. Er lag daar een gracht aan de westkant van de straat. Aan de zuidzijde van de uitgelegde burcht werd het abdijterrein van Sint-Paulus gesitueerd. Die grens, bestaande uit de genoemde gracht, die het uitgelegde terrein van de burcht aan drie zijden omsloot, bevond zich daar aanvankelijk tussen de Oudmunsterkerk en de latere Oudmunstertrans, de tegenwoordige Trans. De gracht zal overigens al in het begin van de dertiende eeuw, op zijn minst voor een deel, zijn gedempt.[32] De grond ten zuiden van die gracht, waarop later de Trans – van transitus, dit wil zeggen: doorgang – werd aangelegd, is in 1283 door de abdij aan het kapittel van Oudmunster verkocht, samen met een poort die daar toen al stond. Zoals uit latere gegevens blijkt, stond deze poort aan de Dam, de tegenwoordige Pausdam. De Trans verbond het Oudmunsterkerkhof – het zuidelijk deel van het huidige Domplein – met de Dam, de latere Pausdam, op de hoek van de Nieuwegracht en de Kromme Nieuwegracht. Door de verkoop van deze grond zal het terrein van de abdij aan de noordkant een aantal meters verkleind zijn. Mogelijk hing de verkoop samen met de bouw van een muur om het abdijterrein, of tenminste aan de noord- en de westkant ervan. Een oorkonde van 31 oktober 1281 maakt melding van een dergelijke muur, terwijl in een processtuk uit 1325 getuigen worden genoemd die de abdijmuur nog hadden zien bouwen. Gezien de tijdsspanne tussen 1281 en 1325 – 44 jaar – zal hij dus in of kort vóór 1281 gebouwd zijn.[33] We komen op die muur, waarvan bij opgravingen ten westen van de Korte Nieuwstraat resten zijn aangetroffen, nog terug. Aan de zuidkant zal de grens van het abdijgebied vanouds bestaan hebben uit een oost-west lopende straat, de Sint-Paulussteeg, de tegenwoordige Hamburgerstraat.[34] Ook daar zal een muur hebben gestaan, maar gedeeltelijk werd het terrein daar, in ieder geval sinds de Late Middeleeuwen, begrensd door abdijgebouwen. Hetzelfde zal het geval geweest zijn met de oostelijke begrenzing, aan de Oudelle, de latere Nieuwegracht. In de noordoosthoek, bij de Dam, stonden waarschijnlijk al vroeg huizen, die in een oorkonde uit 1256 worden genoemd[35] en die niet tot het eigenlijke abdijterrein zullen hebben behoord. Aldus zal het abdijterrein van meet af aan een omvang hebben gehad die het, met uitzondering van een strook grond aan de noordzijde, tot aan de opheffing van de abdij behouden heeft. Ongeveer midden op dat terrein stond de abdijkerk. Zij is na de Hervorming in enkele etappes gesloopt. We kennen haar uiterlijk door enkele afbeeldingen en uit archeologisch en bouwhistorisch onderzoek. Zij was vroegromaans, dateerde van de overbrenging van de abdij in het midden van de elfde eeuw, en leek sterk op de Sint-Pieterskerk. Zoals uit de afbeeldingen en teruggevonden resten kan worden afgeleid, ging het ook bij de abdijkerk van Sint-Paulus om een driebeukige kruisbasiliek met een driedelige kooropzet. Maar anders dan bij Sint-Pieter had Sint-Paulus waarschijnlijk geen crypte, terwijl het dwarsschip breder was. Aan de uiteinden aan de oostzijde van dit transept bevonden zich bij de abdijkerk al in eerste opzet apsidiolen, kleine halfronde nissen, waarin waarschijnlijk altaren hebben gestaan. Delen van de omtrekken van de kerk, waaronder de noordelijkste apsidiool zijn zichtbaar gemaakt in de Hofpoort.[36] Ten zuiden van het schip van de kerk bevond zich een ongeveer vierkante pandhof met klooster- of kruisgang aan drie zijden. Daaromheen lagen als gebruikelijk de belangrijkste abdijgebouwen: kapittelzaal (vergaderruimte), refter (eetzaal), dormter (slaapzaal) en de vertrekken van de abt. Van deze bebouwing zijn nog onderdelen bewaard gebleven in de rechtbankgebouwen, met name in de oostelijke vleugel, die in het verlengde van het dwarsschip van de kerk lag. Gewone en gedelegeerde kerkelijke rechtsmacht De gewone rechtsmacht (jurisdictio ordinaria) binnen de kerk was in beginsel in handen van de paus en de bisschoppen. Kenmerk van deze rechtsmacht was dat zij niet meer door een hoger orgaan in te trekken was. In het algemeen hebben de bisschoppen evenwel op een gegeven moment delen van deze jurisdictio ordinaria ook overgedragen aan anderen. In Utrecht gebeurde dit in de loop van de elfde eeuw, toen door de toename van de bevolking en dus van het aantal gelovigen en parochies de taak van de bisschoppen zich uitbreidde en tegelijkertijd ook wereldlijke aangelegenheden veel van hun aandacht opeisten. Op het terrein van de kerkelijke rechts- en bestuursmacht hebben ze toen bepaalde bevoegdheden in handen gegeven van de proosten van zowel de Utrechtse kapittels als ook die van Emmerik, Tiel (later Arnhem), Deventer en Oldenzaal. Van deze bevoegdheden – die zijn samen te vatten onder de term bannus episcopalis – vormde het belangrijkste onderdeel het houden van het seendgerecht (de iustitia synodalis); maar ook maakten er zaken als parochiestichting, pastoorsbenoemingen, incorporatie en toezicht op de parochiegeestelijkheid en kerkelijke vermogens later deel van uit. Onafhankelijk van de bisschop zouden voortaan deze proosten, die de titel aartsdiaken gingen voeren, de bevoegdheden als zelfstandig ambt uitoefenen, ieder uiteindelijk in een eigen ressort of aartsdiaconaat binnen het bisdom. Deze aartsdiaconale indeling is overigens niet in één keer, maar eerst geleidelijk over een langere periode tot stand gekomen.[37] Zo is allereerst – en mogelijk is dat omstreeks het midden van de elfde eeuw gebeurd – aan de proosten van dom en Oudmunster deze rechts- en bestuursmacht overgedragen. Daarna zijn successievelijk in de tweede helft van de elfde eeuw ook aan de proosten van de kapittels buiten Utrecht en die van de jongere kapittels in de bisschopsstad dezelfde bevoegdheden toegekend. En ten slotte gebeurde dit in het eerste kwart van de twaalfde eeuw ook nog eens aan een tweetal domkanunniken, die als aartsdiakens de titels van koorbisschop – hulpbisschop – en proost van West-Friesland voerden.[38] Wat nu opmerkelijk mag worden genoemd, is dat in het diocees Utrecht – anders dan elders soms het geval was – geen abten met deze aartsdiaconale waardigheid bekleed zijn geweest.[39] Dit zal in de eerste plaats hebben samengehangen met het feit dat er in de periode dat de bisschop die kerkelijke rechts- en bestuursmacht uit handen gaf – de tweede helft van de elfde en het eerste kwart van de twaalfde eeuw – praktisch geen abten waren die voor verlening in aanmerking kwamen.[40] Waarom echter de abt van Sint-Paulus, van wie men gezien de positie van zijn abdij naast de kapittels zou mogen aannemen dat hij voor een dergelijke verlening wel in aanmerking kwam, de aartsdiaconale waardigheid werd onthouden, is niet echt duidelijk. Mogelijk is dat, hoewel de aartsdiaconale waardigheid niet per definitie strijdig werd geacht met die van abt, het – misschien ook in de abdij zelf en onder invloed van het monastieke hervormingsdenken in die tijd – voor de abt toch ook niet echt passend werd geacht om al te zeer betrokken te raken bij het bestuur van het bisdom. Wellicht hebben in Utrecht echter ook de kapittelproosten de abt van Sint-Paulus niet geschikt bevonden voor deze functie. Wat uiteindelijk de precieze redenen ook geweest mogen zijn, een gegeven is dat de abt van Sint-Paulus nooit de functie van aartsdiaken heeft uitgeoefend.[41] De bevoegdheid tot rechtspreken konden de bezitters van de gewone rechtsmacht ook op een minder ingrijpende wijze laten uitoefenen door anderen dan in het geval van de aartsdiakens was gebeurd. Men sprak dan van buitengewone of gedelegeerde rechtsmacht (jurisdictio extraordinaria of delegata). Het kon hierbij om een meer algemene bevoegdheid gaan of een die ad hoc verleend werd. Zij kon ieder moment weer worden ingetrokken. De aldus benoemde rechter werd iudex delegatus genoemd. Deze kon op zijn beurt weer iemand subdelegeren als iudex subdelegatus. De verstrekkendste gedelegeerde bevoegdheid (ad universitatem causarum) was die der officialen, functionarissen die sinds de eerste helft van de dertiende eeuw door zowel de bisschop als ook de afzonderlijke aartsdiakens werden aangesteld.[42] Als gedelegeerd rechter konden, ook in speciale gevallen, hogere geestelijken, zoals bijvoorbeeld de abten en priors van kloosters, worden aangesteld. Het oudste bewaarde voorbeeld waarbij de abt van Sint-Paulus namens de paus als gedelegeerd rechter optrad dateert uit 1145. Hij kreeg die opdracht toen van Paus Eugenius III, samen met de abt van de cisterciënzer abdij Kamp in het aartsbisdom Keulen. Het geschil betrof een conflict tussen de proost van Emmerik en zijn kapittel.[43] Van door de bisschop gedelegeerde rechtsmacht zijn alleen voorbeelden uit later tijd bewaard gebleven. In 1264 kreeg de abt van Sint-Paulus van bisschop Hendrik van Vianden de opdracht om de domproost te citeren om binnen drie weken voor de bisschop te verschijnen of hem anders te excommuniceren wegens het niet voldoen aan een bisschoppelijke uitspraak in een geschil tussen de proost en zijn kapittel.[44] Een latere zaak van gedelegeerde rechtsmacht door de paus, waarvan veel processtukken bewaard zijn gebleven, betrof de rechten op een stukje grond dicht bij de Sint-Paulusabdij, namelijk op de hoek van het tegenwoordige Wed en de Donkere Gaard/Oudegracht. Op deze plek had tevoren de gracht van de in het midden van de elfde eeuw uitgelegde bisschoppelijke burcht gelegen. Deze gracht was later gedempt en in plaats daarvan was er op de hierboven genoemde plaats een afrit naar de gracht – een ‘wed’ – gemaakt.[45] Waarschijnlijk had de bezitter van het toenmalige hoekpand – thans Oudegracht 168-170 –, de Utrechtse burger Johan Dole, het voormalige talud van de gracht – nu Oudegracht 166 – bij zijn perceel getrokken. De kanunniken van Oudmunster meenden echter dat de rechten op deze grond aan hun kapittel toebehoorden. Hoewel het stukje grond gelegen was binnen het – uiteraard wereldlijk – rechtsgebied van de stad, maakte het feit dat er een kerkelijke instelling bij betrokken was de kerkelijke rechter competent. Als gedelegeerd rechter voor zaken met betrekking tot kerkelijke bezittingen van het Utrechtse kapittel van Oudmunster had paus Bonifatius VIII op 5 april 1296 de deken van Deventer benoemd,[46] die op zijn beurt vijf jaar later voor deze zaak de prior van de nabijgelegen Sint-Paulusabdij tot gesubdelegeerd rechter had aangesteld.[47] Tussen 17 mei en 10 juli 1301 werd een aantal getuigen door hem gehoord. Op laatstgenoemde datum werd Johan Dole door de deken naar Deventer gedagvaard en werd de prior van zijn taak ontheven.[48] Johan Dole werd op 2 september 1301 door de deken veroordeeld en omdat hij weigerde aan het vonnis te voldoen geëxcommuniceerd,[49] maar korte tijd later werd de zaak onderworpen aan arbitrage van drie kanunniken van Oudmunster. Hierbij kreeg Johan Dole op een aantal voorwaarden het gebruiksrecht van de betreffende grond en beloofde het kapittel zich op zijn kosten in te spannen om de excommunicatie ongedaan te maken.[50] Aangezien het zoals gezegd in deze zaak om grond ging die gelegen was in het rechtsgebied van de stad, maar een van de partijen een geestelijke was, waarom de zaak voor de kerkelijke rechtbank had kunnen worden gebracht, zal uiteindelijk toch de weg van de arbitrage gekozen zijn. Dit was de meest probate en vaakst toegepaste methode om competentiegeschillen tussen kerkelijke en wereldlijke jurisdictie te beslechten. Dergelijke conflicten konden hoog oplopen en grote gevolgen voor geestelijken en leken met zich meebrengen. De kerkelijke overheid paste dan wel eens collectieve straffen toe die alle inwoners troffen, zoals het interdict; de wereldlijke overheid op haar beurt nam geestelijken gevangen of verdreef zelfs de hele geestelijkheid of een deel daarvan uit stad en land.[51] Om deze hoogst onaangename situaties te voorkomen werd veelal met succes het middel van arbitrage toegepast. |
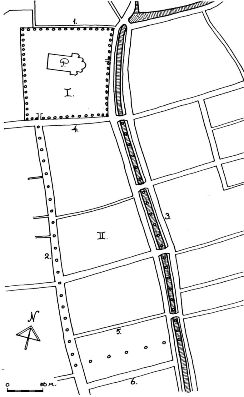
[52] W. Ullman, Principles of government and politics in the Middle Ages (Londen 1961) 19-26; P.W.A. Immink, De wording van staat en souvereiniteit in de middeleeuwen. Een rechtshistorische studie in het bijzonder met betrekking tot het Nedersticht, I (Utrecht 1942) passim; De Monté-ver Loren, Hoofdlijnen, passim; M.W.J. de Bruijn, ‘Consules civitatis. Ontstaan en opkomst van de Utrechtse gemeenteraad’, Jaarboek Oud-Utrecht 1996, 5-44; dezelfde, ‘Buurschap en gerecht. De ontwikkeling van twee samenhangende instellingen in middeleeuws Utrecht’, Jaarboek Utrecht 2008, 127-151. ![]() Afb. 4. De gebouwen van het Utrechts gerechtshof getekend door Jan de Beijer in 1744. [53] Broer, Uniek in de stad, passim. [54] Dit kon zijn in tijdpacht, in lijfpacht of in ‘erfelijke pacht’. Deze ewelike erfpacht verschafte de verkrijger een recht dat de tegenwoordige eigendom zeer nabijkwam. Zie over deze problematiek De Bruijn, Husinghe ende hofstede, 260-272. [55] Zie aldaar, 275 en 357-358. [56] RAU, Archief van de abdij van Sint-Paulus [Sint-Paulus], nr. 505-1, fol. 90. [57] De Bruijn, Husinghe ende hofstede, 357-358. [58] Aldaar, 63, 249-254, en met name 306-307; zie ook de samenvatting en slotbeschouwing, 413-414. [59] Aldaar, 353-359. Op de noordhoek van de Wuijlstege (de Vuilstraat = de Groenestraat) lag het perceel dat leengoed was van Sint-Paulus, waarover hiervóór gesproken is. In de vermeldingen die daarvan bewaard zijn gebleven, wordt geen enkele maal vermeld dat het binnen het territoir van het dagelijks gerecht was gelegen. De zuidgrens zal zich daarom ten noorden van dit perceel hebben bevonden. [60] Daar waren al in het begin van de veertiende eeuw schepenen, dit wil zeggen benoemde en beëdigde vonniswijzers, aangesteld (De Bruijn, Husinghe ende hofstede, 362-363). [61] Aldaar, 362-363.
Afb.
5.
Plattegrond van de abdij-immuniteit van Sint-Paulus en het dagelijks
gerecht.I. Abdij-immuniteit; II. Dagelijks gerecht. 1. Oudmunstertrans (thans Trans); 2. Nieuwstraat (thans Lange Nieuwstraat); 3. Oudelle (thans Nieuwegracht); 4. Sint-Paulussteeg (thans Hamburgerstraat); 5. ABC-straat; 6. Groenestraat. (naar De Bruijn, Husinghe ende hofstede, 354, tek. A.F.E. Kipp) [62] Aldaar, 365-366. [63] RAU, Archief van het kapittel van Sint-Jan, nr. 910 (1367 april 10). [64] S. Muller Fz., uitg., De middeleeuwsche rechtsbronnen der stad Utrecht, Werken der Vereeniging tot uitgave der bronnen van het Oude Vaderlandsche Recht, 1ste rks., 3 (’s-Gravenhage 1883-1885) dl. I, 48 (1378 oktober 18). [65] Zie De Bruijn, Husinghe ende hofstede, 367-368, 370. [66] RAU, Sint-Paulus 387, blz. 56: Item so sijn die persoen voirscreven, als die ecclesie ende cloesteren die gerichten bynnen Utrecht hebben, hoer gerichten te nyet gemaect van der stat voirscreven, boven recht ende reden, want in horen gerechten die schout mitten scepenen der stat van Utrecht dagelixs panden ende richten boven onse besit ende haircomen. [67] De Bruijn, Husinghe ende hofstede, 369-370. |
Wereldlijke
rechtspraak[52] Inleiding Binnen het immuniteitsgebied, het abdijterrein, in de stad werd zoals gezegd het canoniek of kerkelijk recht toegepast. Dat gold ook voor de kerkgebouwen en een bescheiden gebied daaromheen, die in het bezit van de abdij waren. Alle geestelijken vielen onder de competentie van de kerkelijke rechtspraak en ook de beperkte kring van leken die tot de familia van de abdij behoorden. Maar de overige goederen die de abdij elders in stad, Sticht en bisdom bezat met de daartoe behorende leken vielen in beginsel onder het wereldlijk recht, al konden conflicten daarover, zoals we zojuist gezien hebben, ook aan de kerkelijke rechter worden voorgelegd. In een aantal gebieden had de abdij overigens zelf de wereldlijke rechtsmacht of een deel daarvan in handen. Alvorens daarop in te gaan, is het voor een beter begrip van een en ander goed om eerst enkele algemene kenmerken van de middeleeuwse wereldlijke rechtspraak te behandelen. Om te beginnen werd een groot deel van wat wij nu als de overheidstaak beschouwen uitgeoefend in de vorm van rechtspraak. Het begrip justitia omvatte zowel regelgeving en bestuur als wat thans onder rechtspraak verstaan wordt. De uitoefening daarvan geschiedde, anders dan in het algemeen bij de kerkelijke rechter, door twee organen, een van bovenaf en een van onderop. Wij geven er de voorkeur aan deze organen aan te duiden als het ‘heerlijk’ en het ‘gemeentelijk’ element. Het heerlijk element was het orgaan van bovenaf: de gerechtsheer. Dit was degene die als de bezitter van het gerecht gold. Het kon zowel een natuurlijk persoon zijn, een individu, als een rechtspersoon, een instelling. Voorwaarde was wel dat het om iemand ging die afkomstig was uit de twee standen die als gerechtsheer konden optreden: de adel (in de Late Middeleeuwen de zogeheten ridderschap) en de kerk. Anderen, of het nu vrije personen waren of niet, konden geen gerechtsheer zijn. Het andere element, het orgaan van onderop, was de rechtsgemeente, bestaande uit de rechtsgenoten. Dit waren degenen die gekwalificeerd waren om aan de rechtspraak deel te nemen. Het gemeentelijk element van de rechtspraak bestond alleen uit mannen; vrouwen waren van de rechtspraak uitgesloten. Om gekwalificeerd te zijn hoefde men overigens niet tot de vrijen te behoren; er waren ook gerechten waar de rechtsgemeente uit onvrijen bestond. Een algemeen beginsel was wel dat iemand van een hogere stand nooit door iemand van een lagere berecht kon worden. Terwijl aanvankelijk in beginsel alle rechtsgenoten aan de rechtspraak konden deelnemen, werd in later tijd een vastgesteld aantal vertegenwoordigers uit de rechtsgenoten gekozen of aangesteld, die veelal schepenen werden genoemd. Het heerlijk element (de gerechtsheer) en het gemeentelijk element (de rechtsgemeente of rechtsgenoten) hadden bij de uitoefening een verschillende taak. De heer, of zijn vertegenwoordiger, zat het gerecht voor. Hij vorderde het recht van de rechtsgemeente. Dit gebeurde vaak letterlijk in de vorm van vragen die aan de rechtsgenoten gesteld werden. Deze laatsten wezen gezamenlijk het vonnis, soms door het betonen van bijval, ‘applaus’, op voorstel van een of enkele van hen. De gerechtsheer of zijn vertegenwoordiger ten slotte liet het vonnis uitvoeren. De inkomsten uit de rechtspraak, onder andere de boetes, gingen in het algemeen voor een aanzienlijk deel naar de gerechtsheer. Zo’n gerechtsheer nu was ook de Sint-Paulusabdij, of liever gezegd de abt als vertegenwoordiger van de abdij. Het bezit van die rechtsmacht ging in het algemeen terug tot de begintijd, globaal gesproken de eerste anderhalve eeuw van het bestaan van de abdij, toen haar door de bisschoppen van Utrecht vanuit het algemene kerkelijk vermogen bepaalde bezittingen en rechten werden toebedeeld, die in de eerste plaats moesten dienen voor het onderhoud van de monniken.[53] Dergelijke bisschoppelijke schenkingen aan de abdij, maar in diezelfde tijd ook aan de kapittels gedaan, bestonden in algemeen uit landbezit, rechten ten aanzien van kerken, tiendrechten, maar soms ook uit inkomsten uit tollen, muntslag of nog andere rechten. Inbegrepen nu bij het grondbezit dat genoemde geestelijke instellingen soms zeer verspreid over het hele bisdom verwierven, was meestal ook de rechtsmacht over de grond en de mensen die hierop leefden. Deze rechtsmacht blijkt zich voorts in de loop van de tijd nogal eens te hebben ontwikkeld tot een algemene bevoegdheid in een bepaald gebied, die losstond van eventuele rechten op de grond. De abdij vinden we aldus in verscheidene gebieden, waar ook haar oudste bezittingen gelegen waren, later in het bezit van deze rechtsmacht. Meestal betrof het – in elk geval in het Nedersticht – de gewone dagelijkse of lage rechtsmacht, zoals in het geval van Soest en Hees, Emmeklaar en Nederzeldert (ten noorden van Amersfoort), in Ter Eem (Eembrugge), Scherpenzeel, Papendorp (ten zuidoosten van Utrecht) en ook in een deel van de stad Utrecht zelf. In een paar andere delen van het bisdom, buiten het Sticht, bezat de abdij in enkele plaatsen evenwel ook de hoge jurisdictie, namelijk in Driel in de Bommelerwaard, in Lienden in de Betuwe en ten slotte in de Zwijndrechtse Waard in Zuid-Holland. Vermeld vinden we overigens deze verstrekkende rechten pas in de veertiende eeuw, op het moment dat de hoge rechtsmacht in Driel en Lienden en die in de Zwijndrechtse Waard tegen een jaarlijks te betalen bedrag overgingen in handen van respectievelijk de graaf, later hertog van Gelre en de graaf van Holland. Denkelijk hebben deze territoriale vorsten – die het bezit van deze rechtsmacht door een instelling van buiten hun territoir als een beperking van hun eigen gezag zullen hebben beschouwd – reeds tevoren, maar dan als voogden van de abdij, diezelfde rechtsmacht feitelijk al in handen gehad, hetgeen kan verklaren waarom we van uitoefening door of namens de abt van deze rechtsmacht in de bronnen niets naders vernemen. Met name op de inhoud van en het onderscheid tussen de hoge en lage jurisdictie zullen we nog terugkomen bij de behandeling van het dagelijks gerecht in de stad. Voor wat betreft het beheer en de exploitatie van de haar geschonken goederen en rechten, stonden de abdij verschillende mogelijkheden open. Landbezit viel eventueel zelf direct te exploiteren, maar dat lijkt de abdij – afgezien wellicht van de begintijd op de Hohorst – toch niet echt op grote schaal te hebben gedaan. Gebruikelijker was het om land in (heerlijke) tijns, in leen of in pacht uit te geven.[54] Waar de pachtverhouding in het algemeen gesproken viel onder het gewone dagelijkse gerecht, bestonden daarnaast voor de tijns- en leenverhoudingen afzonderlijke gerechten, te weten tijns- en leengerechten, ten overstaan waarvan rechtshandelingen met betrekking tot de uitgegeven grond of rechten dienden plaats te vinden. In leen uit te geven was ook de (dagelijkse) rechtsmacht, die de abdij bezat, zoals bijvoorbeeld gebeurde in Soest en Hees en ook in Scherpenzeel. De abdij kon die rechtsmacht echter ook aan zich houden. De abt liet zich dan in het algemeen – zoals in Emmeklaar, Nederzeldert, Papendorp en in Utrecht – als gerechtsheer vertegenwoordigen door een door hemzelf benoemde schout, die dan ‘van abtswege’ de rechtsmacht uitoefende. De abdij en vooral haar abt hadden aldus op verschillende manieren te maken met verschillende vormen van wereldlijke jurisdictie, die bovendien ook nog eens naast elkaar konden bestaan. Het voert te ver om in dit artikel dit alles voor wat betreft de abdij zelfs maar in hoofdlijnen te schetsen. Waar het hier in de eerste plaats gaat om de rechtspraak daar waar de abdij zelf gevestigd is geweest, namelijk in de stad Utrecht, beperken we ons hier in de meer concrete uitwerking van een en ander vooral tot de waarschijnlijk voornamelijk in de abdij zelf uitgeoefende leenrechtspraak en het dagelijks gerecht dat ze bezat in de directe omgeving van de abdij. Leenrechtspraak Een bijzondere vorm van rechtspraak was de leenrechtspraak. Zij werd uitgeoefend met en door degenen die door een bijzondere persoonlijke band, de leenband, met de gerechtsheer, de leenheer, verbonden waren. Deze rechtsverhouding vond zijn oorsprong in de Vroege Middeleeuwen, toen de koningen hun directe ondergeschikten, de vazallen, door een eed van trouw aan zich wisten te binden. Bij deze leeneed beloofden zij hun heer met raad en daad bij te staan. In ruil voor deze steun ontvingen zij van hun leenheer een beneficium, een vermogen om in hun onderhoud te voorzien. Aanvankelijk konden alleen adellijke mannelijke personen in een leenverhouding met hun heer verbonden zijn. Later in de Middeleeuwen echter stond dit ook open voor niet-adellijke personen en vrouwen. Hierdoor werd het leen van een persoonlijke steeds meer tot een puur zakelijke verhouding. Toch bleef het gaan om een bijzondere, geprivilegieerde verhouding. Dit kwam onder meer omdat bij een leen in het algemeen geen jaarlijkse betaling hoefde te worden gedaan. Alleen in een aantal specifieke gevallen was een bedrag in geld of natura aan de leenheer verschuldigd. Dit was in de eerste plaats het geval bij het aantreden van een nieuwe leenheer, wanneer opnieuw de eed van trouw moest worden afgelegd. Ook wanneer er een nieuwe leenman optrad, bij vererving of vervreemding van het leengoed, was vanzelfsprekend een nieuwe eed en een betaling, het ‘heergewaad’, aan de leenheer verschuldigd. Ook de abdij van Sint-Paulus had een deel van haar in verschillende delen van het bisdom gelegen goederen en rechten in leen uitgegeven. Bij Sint-Paulus trad de abt als leenheer op. Hij zat zelf het leengerecht voor, vorderde het recht en was belast met de uitvoering. De vonnissen werden gewezen door de leenmannen als rechtsgemeente. Opmerkelijk is dat bij de Sint-Paulusabdij op verschillende momenten pacht- of tijnsverhoudingen, waarbij jaarlijkse betalingen moesten worden gedaan, zijn omgezet in lenen. Waarschijnlijk verhoogde dit de status van degenen die het goed van de abdij hielden. Zij hoefden niet meer voor het gerecht van de plaatselijke grondgebruikers terecht te staan of hun goederen over te dragen, maar konden dit voortaan doen voor dat van hun medeleenmannen in het leenhof, dat in het algemeen gehouden werd binnen de abdij. In het archief van de abdij, dat overigens maar zeer ten dele bewaard is gebleven, vinden we in de vanaf de veertiende eeuw bijgehouden tijns- en leenregisters dergelijke intijns- en inleengevingen vermeld. Binnen de stad Utrecht was door de abdij slechts één enkel huiserf, een hofstede, uitgegeven als leengoed. Dit perceel strekte zich uit van de Oudelle, de latere Nieuwegracht, tot aan de Lange Nieuwstraat, aan de noordkant van de Groenestraat.[55] Hoe de leenverhouding voor dit betrekkelijk kleine stukje grond is ontstaan, is geheel onduidelijk. Het oudste gegeven dateert pas uit 1344. Toen was een vrouw, Geertruid Pauwelsdochter, houdster van het leen. Op 14 augustus van dat jaar verscheen zij voor de abt en het leenhof om het goed over te dragen aan de Utrechtse burger Gerard van Damassche. Zoals gebruikelijk gebeurde dit eerst door ‘opdracht’ aan de leenheer, de abt, die het vervolgens aan Gerard in leen gaf. Als leenmannen traden Adam Zoudenbalch, Johan de Zelander, Willem Loefzoon en Everard Foeke op.[56] Hierna bleef het goed tot in de zeventiende eeuw in handen van de patricische familie Van Damassche/Zoudenbalch. Zoals bij lenen gebruikelijk was, moest het goed bij iedere vererving door de erfgenaam die leenopvolger was worden ‘verzocht’ aan de abt en het leenhof. Hierbij werd een heergewaad van een pond penningen ‘goed geld’ betaald.[57] Het dagelijks gerecht in de stad In het jaar 1330 bevestigde bisschop Jan van Diest de Utrechtse kapittels in het bezit van hun ‘dagelijkse gerechten’. Daarvan zijn verschillende oorkonden bewaard gebleven. Ze dateren van 31 maart en 1 april van dat jaar, met uitzondering van een stuk van 21 april betreffende het gerecht van het kapittel van de dom. Voor de Sint-Paulusabdij is geen bevestigingsoorkonde bewaard gebleven, maar uit andere gegevens blijkt dat naast de vijf kapittels ook de abdij ‘dagelijks gerecht’ in de stad heeft uitgeoefend. In twee van de genoemde oorkonden uit 1330, beide van 31 maart, de ene betreffende het kapittel van Sint-Pieter en de andere dat van Sint-Marie, wordt de ligging van de dagelijkse gerechten van deze kapittels omschreven. De term ‘dagelijks gerecht’ is in deze oorkonden gebruikt als rechtsgebied in territoriale zin. De uitdrukking werd echter ook gehanteerd als een bevoegdheid. Zo werd in voornoemde oorkonden gesproken van de iurisdictionem temporalem cotidianam, vulgariter dictam daghelics gherechte, ‘de tijdelijke’ – dit wil zeggen: wereldlijke –‘dagelijkse rechtspraak, gewoonlijk geheten dagelijks gerecht’. Deze jurisdictie werd hierbij omschreven als omnem iurisdictionem et cohercitionem citra membri mutilationem et mortem homini inferendam, ‘alle rechtspraak en rechtsuitoefening behalve het afhakken van een ledemaat en het ter dood brengen van een mens’. Dit laatste wordt gewoonlijk omschreven als de rechtspraak ‘aan lijf en lid’, ook wel de ‘hoge jurisdictie’. Deze omvatte dus de delicten waarop de doodstraf of een verminkende straf stond. Het dagelijks gerecht, de ‘lage jurisdictie’, daarentegen omvatte in beginsel nog wel de straffen ‘aan huid en haar’: geseling, brandmerken, kaalscheren. Het is echter de vraag of dit althans in Utrecht in de praktijk wel het geval is geweest. Men vindt er geen gegevens over. Waarschijnlijk beperkte de strafrechtspraak van de dagelijkse gerechten er zich vooral tot het opleggen van geldboeten. Over de wijze van ontstaan van de dagelijkse gerechten in Utrecht zijn geen gegevens bewaard gebleven. Aannemelijk is dat zij hun oorsprong hebben gevonden in het oorspronkelijk bezit van de belangrijkste kerkelijke instellingen van goederencomplexen en de wijze waarop deze werden beheerd. Eerder is al opgemerkt dat wanneer door de bisschoppen in de elfde en twaalfde eeuw aan de kapittels en de Sint-Paulusabdij grond werd geschonken, dit in het algemeen gebeurde met inbegrip van de rechtsmacht over die grond. Dit zal ook hebben gegolden voor de verschillende goederen die deze instellingen mogelijk her en der in het latere stadsgebied verwierven. Deze oorspronkelijk met de rechten op de grond verbonden jurisdictie, die onder meer betekende dat zaken betreffende die – veelal aan derden in tijns uitgegeven – grond voor een speciale rechtbank van de grond- of tijnsheer moesten worden behandeld, is zeker niet hetzelfde als de latere dagelijkse rechtmacht, maar ze heeft wellicht toch wel aan de basis ervan gelegen. M.W.J. de Bruijn, die zich in zijn dissertatie Husinghe ende hofstede met deze ontwikkelingen uitvoerig heeft beziggehouden, veronderstelt dat er een belangrijke verandering in de organisatie van de rechtsmacht in de stad heeft plaatsgehad bij de verlening van het stadsrecht omstreeks 1122, toen in één keer een gebied als stadsgebied werd afgebakend en los van het voor het omliggende gebied geldende landrecht een eigen rechts- en bestuursstructuur kreeg. De verandering zou vooral daaruit hebben bestaan dat binnen het stadsgebied door een soort ‘ruilverkaveling’ aan de bestaande situatie van territoriale versnippering van de rechtsmacht een einde werd gemaakt en de al genoemde dagelijkse gerechten tot stand zijn gebracht. Dit waren nieuwe, maar nu territoriaal samenhangende rechtsgebieden, die werden toegewezen aan de kapittels en de abdij daar waar ze veel, maar zeker niet alle rechten op de grond in hun bezit hadden. Binnen deze dagelijkse gerechten stonden – anders dan bij de oude tijnsrechtspraak het geval was geweest – rechten op de grond, die ook gezagsrechten, dus rechtsmacht, inhielden, niet meer voorop, maar werd op basis van een algemene bevoegdheid recht gesproken over de grond en alle mensen die binnen het betreffende rechtsgebied woonden.[58] In de praktijk betekende dit dat de rechtsmacht over de grond niet meer werd uitgeoefend door de tijnsheffende instantie en haar tijnsgerecht, maar door de nieuwe rechtbank, dagelijks gerecht geheten, die bevoegd was in het gebied waar de betreffende grond gelegen was. Ook voor de Sint-Paulusabdij valt een dergelijke gang van zaken aan te nemen. In 1050 kreeg de abdij, ter gelegenheid van haar verhuizing van de Hohorst naar Utrecht, van bisschop Bernold een zestal huiserven geschonken, waarvan gesteld wordt dat ze gelegen waren nabij het abdijterrein. Waarschijnlijk betreft het hier grondbezit – met inbegrip van de rechtsmacht daarover – gelegen ten zuiden van de abdij-immuniteit, aan de overzijde van de Hamburgerstraat. In dat gebied treffen we later nog erven aan waarvoor aan de abdij oude tijnzen van enkele penningen en hogere pachten betaald dienden te worden. Op basis van dit grondbezit zal voorts aan de abdij bij de voornoemde ruilverkaveling in de twaalfde eeuw een rechtsgebied toebedeeld zijn dat later bekend stond als het dagelijks gerecht van Sint-Paulus. Over dit dagelijks gerecht, dat de abdij evenals de vijf Utrechtse kapittels in de stad heeft gehad, is bijzonder weinig bekend. Omdat het abdijarchief slecht is overgeleverd, beschikken we maar over weinig gegevens. Slechts een tweetal oorkonden is van het gerecht bewaard gebleven. Daarnaast wordt deze jurisdictie vermeld in enkele andere bronnen. De territoriale begrenzing van het gerecht ‑ de competentie ratione loci ‑ liet zich overigens op basis van die gegevens wel reconstrueren. Het gerecht was gelegen tussen de Oudelle, de latere Nieuwegracht, aan de oostkant en in de Lange Nieuwstraat aan de westkant, en dat het zich uitstrekte van de Sint-Paulussteeg (de Hamburgerstraat) tot ongeveer het midden tussen de ABC-straat en de Groenestraat (zie de afgedrukte plattegrond).[59] Er lagen percelen langs de zuidkant van de Hamburgerstraat (in t’sinte Pouwels steghe aen die zuutzide van der stat strate), langs de Nieuwegracht (in der Oudellen in des abts gherechte van zinte Pouwels t’Utrecht (...) voer van der straten afterwaerts ten westen) en de Lange Nieuwstraat (in de Nywestrate (...) van der Nywerstraten ter Oudellen waert). Aangezien de Lange Nieuwstraat een typische achterstraat was tussen de Oudegracht en de Nieuwegracht, zal de parcellering daar secundair zijn geweest. Toch werd er in 1340 gesproken van des abds scoute van sinte Pouwel in de Nywestrate, waarmee dus juist de Nieuwstraat als aanduiding voor het gerecht werd gebruikt. ![]() Afb. 6. De oudste van de twee bewaard gebleven gerechtsoorkonden van het dagelijks gerecht van Sint-Paulus, daterend van 10 maart 1345. De oorkonde is bezegeld met het zegel van de schout, Tiedeman van de Velde (Het Utrechts Archief, Bij het stadsarchief bewaarde archieven I, nr. 1454). Over het functioneren van het gerecht weten we maar weinig. De twee oorkonden die van de justitiële activiteit melding maken, leren ons dat er recht gesproken werd door een schout, die vanzelfsprekend door de gerechtsheer, de abt, benoemd was, samen met de bure (in de oorkonde uit 1345) en met tinsghenoten ende buere (in de oorkonde uit 1363), de rechtsgemeente dus. Een dergelijke situatie bestond ook bij de dagelijkse gerechten van de kapittels, met uitzondering van Sint-Marie.[60] De tijnsgenoten zullen degenen zijn geweest die tijns aan de abdij moesten betalen, de buren zij die geen tijnsverplichtingen tegenover de abdij hadden, maar wel binnen het rechtsgebied gegoed waren. Al te veel belang moet overigens aan het onderscheid tussen buren en tijnsgenoten niet worden gehecht. Het lijkt eerder een standaardformulering te zijn geweest in de oorkonden van de verschillende dagelijkse gerechten.[61] In beide oorkonden worden zes buren met name genoemd. In de oorkonde van 1363 wordt tevens vermeld dat ook anders vele goeder lude aanwezig waren en aan de rechtspraak deelnamen: Hier waren over ende aen daer dit ghesciede Heinric de Vrese, Johan uten Broec, Johan van der Haer, Melis van Ochten, Herman Ouderidder ende Alaert Coel, ende anders vele goeder lude alse tinsghenoten ende buere in des abts gherechte van sunte Pouwels voerscreven. Beide oorkonden werden bezegeld met het zegel van de schout. In die van 1345 werd daarbij vermeld dat de buren zelf geen zegels hadden. De schout zal als gebruikelijk gefungeerd hebben als voorzitter van de rechtbank, rechtsvorderaar en uitvoerder van de vonnissen, de tijnsgenoten en buren als vonniswijzers. Uit de schaarse van Sint-Paulus bewaard gebleven gegevens valt dit overigens niet af te leiden. De oorkonde van 1363 maakt echter wel duidelijk dat ook transacties betreffende onroerende zaken in de vorm van een echte gerechtelijke procedure plaatsvonden. De schout oorkondde dat in het gerecht verschenen was Diederik Hal(f)pape, eeuwig vicaris van Oudmunster in Utrecht, mit sinen ghecoren mombaer, daer hi mit rechte ende mit oerdele aen ghecomen was, ende begheerde eens oerdeels of die husinghe ende die hofsteden die hi legghen ende staende heeft in des abds gherechte van sunte Pouwels voerscreven (...) also vry ende also losse waren dat hise mochte wech gheven, versetten ende verzellen wien hi woude op alsulken pachte alse daer uut gaet. Ende hem wert ghewiist dat hii ’t wel doen mochte op alsulken pachte alse daer uut ghinghe. Doe dat ghewiist was, doe gaf aldaer haer Dyderic voerseyt rechtevoert mit sinen vrien wille ende mit siins ghecoren mombaers hant die voerscreven husinghe ende hofsteden also alsi gheleghen siin ende alsi ghepaelt staen, tot eenre verbeteringhe siinre reynten die (hi) heeft tot Oudemunster t’Utrecht op sunte Peters outaer, dat haer Aernt Pot ghemaect heeft, ende tot diere rey(n)te voerseyt eweliken ende ummermeer te bliven na siere doet, behoudelic Gouden siinre maecht hoer liiftocht aen den enen huze also alse hoer brief begrepen heeft die si daer of heeft, alle archeyt uutgheset ende behouden elkermalc siins rechts. Hieruit blijkt dat de rechtbank eerst bij gerechtelijk vonnis aan Halfpape een voogd toegewezen had, zoals voor een priester noodzakelijk was, en vervolgens een oordeel had gegeven over de vraag of de comparant de vrije beschikkingsmacht over de betreffende onroerende zaken had. Toen dit bij vonnis bevestigd was, kon Halfpape de huizen en erven overdragen aan het door Arend Pot in de kerk van Oudmunster gestichte Sint-Pietersaltaar, ter vermeerdering van de rente die hij daar al eerder aan vermaakt had. Zijn dienstmeid Goude behield haar ‘lijftocht’, het vruchtgebruik, aan een van de huizen. Waar de rechtszittingen van het dagelijks gerecht van Sint-Paulus gehouden werden, weten we niet. Het is denkbaar dat dit in de abdij plaatsvond, maar het is ook mogelijk dat het binnen het rechtsgebied zelf gebeurde. Van het in het oosten, aan de andere kant van de Oudelle, aangrenzende dagelijks gerecht van Oudmunster staat vast dat de rechtszittingen werden gehouden binnen het territoir van de jurisdictie, en wel op de plaats waar nu het pand Nieuwegracht 22 staat, in het huis van een particulier. In 1389 beloofden de bezitters van dat huis, Hendrik de Jager en zijn vrouw Mechteld, om de ‘zaal’, de grote kamer, van hun huis, die zij betimmerd hadden, weer te ontruimen. Verder werd bepaald alse dat die cameraer ende die scoute der voerseyder heren van Oudemunster, die nu siin ofte namaels wesen sellen, of die ene van hem beyden, mitten bueren in der heren gherechte voerscreven tot allen tyden alse zii’s behoeven recht houden moeghen in den zael van der husinghe voerscreven. Het echtpaar mocht de rest van de tijd de zaal zelf gebruiken, maar moest haar ontruimen en schoonmaken wanneer het gerecht zitting hield. Mede zoe zellen zi altoes een sitten houden opte zuutside van den voerseyden zael also lang alse die zael is. Er moest dus aan de zuidkant over de hele lengte een zitbank voor het gerecht zijn.[62] Helaas weten we niet of ook het dagelijks gerecht van Sint-Paulus over een dergelijke ruimte heeft beschikt of dat de rechtszittingen binnen de abdij werden gehouden. Hiervóór is al opgemerkt dat de dagelijkse gerechten van de kapittels en de abdij in de stad waarschijnlijk onder meer zijn voortgekomen uit oudere gerechten die zich alleen bezighielden met de goederen van de abdij zelf en de personen die ze van de abdij hielden. Mogelijk zijn deze jurisdicties bij de privilegiëring van de stad in of kort vóór 1122 omgezet in dagelijkse gerechten. De oudste gegevens gaan echter niet verder terug dan het eind van de dertiende eeuw. Al in de eerste helft van de daarop volgende eeuw zette de stad een offensief in tegen deze rechtbanken, die een inbreuk maakten op de competentie van het stedelijk schepengerecht. Een niet gedateerde notitie van bisschop Jan van Diest (1322-1340) bevat de klacht dat de stad zich opwierp als enig appèlgerecht voor de dagelijkse gerechten. In de bevestiging in het bezit van die gerechten in 1330, waarover hierboven is gesproken, mogen we wel een aanwijzing zien dat de stad toen al pogingen in het werk aan het stellen was om hun jurisdictie te kortwieken. Naar aanleiding van klachten over de schouten van Sint-Jan en des abds scoute van sinte Pouwel in de Nywestrate Johan den Monter, welke functionarissen de burgers daghelix rechts sonder enighe redene gheweyghert hadden, bepaalde de stad in 1340 dat de stad in geval van rechtsweigering ook in eerste aanleg kennis zou nemen van geschillen die tot de competentie van de dagelijkse gerechten behoorden. Waarschijnlijk is de stedelijke schepenbank toen al volledig concurrerend geworden met die gerechten. Nog in hetzelfde jaar werden aan twee Utrechters, Pyroec van der Doel en Willem Vlaminc, door het schepengerecht van de stad onroerende zaken gerechtelijk toegewezen die gelegen waren binnen de dagelijkse gerechten van Oudmunster en Sint-Paulus. In 1367 heeft de bisschop de proost van Sint-Jan opnieuw bevestigd in het bezit van zijn dagelijks gerecht in de stad.[63] De oorkonde die daarvan bewaard is gebleven, is woordelijk gelijk aan die van 1 april 1330. Merkwaardigerwijs zijn soortgelijke oorkonden niet bij de andere kapittels en de abdij aangetroffen. Het is dus niet duidelijk of de bevestiging een algemeen karakter had en een reactie was op nieuwe aantasting door de stad van de rechten van de kapittels en de abdij. In 1378 maakte de stedelijke raad een eind aan de mogelijkheid van een schuldenaar om zich vrij in het rechtsgebied van een dagelijks gerecht op te houden. De stad zou hem voortaan dwingen dat hi ene herberghe kiezen zoude in der stat gherechte, daer men aen hem rechten mochte.[64] Hiermee werd een nieuwe inbreuk gemaakt op de wereldlijke jurisdictie van de kapittels en de abdij. Uit de tweede helft van de veertiende eeuw beschikken we nog over een groot aantal gerechtsoorkonden van de dagelijkse gerechten van de kapittels in de stad, maar in het begin van de vijftiende droogt de stroom snel op.[65] De laatste getraceerde oorkonde van een van deze jurisdicties dateert van 22 december 1412. In 1414 beklaagde bisschop Frederik van Blankenheim zich erover dat die stat den ecclesien hoeren dagelixschen gerichten lange tijt onbruyck gemaect had. Een dergelijke klacht werd ook geuit door de kapittels in een oorkonde van 12 oktober 1416. Maar het stadsbestuur antwoordde laconiek: Omdat die raet sach grote verschalkinge ende bedriechgenisse der lude, soe heeft die raet een overdracht daerop gemaect op hoeren borgeren ende ondersaten om grote nutscap des gemeens. Nog van tien jaar later dateert een geschrift in het archief van de Sint-Paulusabdij over de ghebreken die die ecclesy, cloesteren ende gemeen paepscap hebben an der stat van Utrecht. Daarin leest men onder meer dat schout en schepenen van de stad boven recht ende reden dagelijks jurisdictie uitoefenden binnen het rechtsgebied van de dagelijkse gerechten.[66] Succes lijken deze klachten niet meer te hebben gehad. Sindsdien verneemt men niets meer van de rechtspraak van de dagelijkse gerechten. Wél mochten de schouten van de kapittels en waarschijnlijk ook van de abdij nog binnen het oude rechtsgebied blijven ‘panden’, dit wil zeggen beslag leggen op goederen wegens achterstallige pacht. Dit kan verklaren waarom deze instellingen nog eeuwenlang bleven vermelden dat een perceel gelegen was binnen hun gerecht in de stad.[67] |
[68] Zie aldaar, 284; en De Bruijn, ‘Consules civitatis’, 35-36. |
Binnen het immunitaire abdijterrein gold, zoals gezegd, het canoniek of kerkelijk recht. Dit territoir was aan drie zijden – het oosten, zuiden en westen – omringd door stedelijk gebied waar het wereldlijk recht gold. Kerkelijke instellingen als de kapittels en de abdij waren in de Middeleeuwen zeer gespitst op het behoud van hun rechten. Dit gold ook voor hun rechten in territoriale zin. Aan de grenzen van deze territoria konden gemakkelijk competentiegeschillen ontstaan. Omdat zich daarbij een botsing tussen kerkelijk en wereldlijk recht voordeed, werden deze conflicten indien enigszins moge opgelost door middel van arbitrage. We hebben daar al een voorbeeld van laten zien. Zoals hiervóór al is opgemerkt, werd de abdij onder meer aan de westzijde begrensd door een muur, die in het laatste kwart van de dertiende eeuw gebouwd was. In 1384 raakte de abdij in conflict met enkele bewoners van de Oudegracht, die op hun achtererven tegen de muur gebouwd hadden. De abdij stelde dat zij buiten de muur nog een ruimte van drie en een halve voet – iets minder dan een meter – grond bezat en dat het daarom niet toegestaan was tegen die muur te bouwen. Een dergelijk conflict kon gemakkelijk aanleiding geven tot de een nieuw geschil, en wel over de vraag welk gerecht hier competent was, het wereldlijke of het kerkelijke. Kennelijk heeft de abdij de zaak niet in deze zin op de spits willen drijven en genoegen genomen met behandeling door de wereldlijke rechter. In dit geval was dit het stedelijk schepengerecht. De schepenen vonden de zaak echter zo belangrijk dat ook de oud-schepenen erbij betrokken werden. In Utrecht bestond sinds 1305 een alternerend stelsel, waarbij de schepenen na een jaar minstens een jaar daarop volgend geen schepen konden zijn, maar wel als oud-schepenen bij belangrijk geachte zaken betrokken werden. Vervolgens deed dit uitgebreide schepencollege dan een uitspraak. Deze oirdelen, die de scepene stadighen, daer men d’oude scepene bij roept, werden als jurisprudentie in een afzonderlijk register, Der scepene boeck, opgetekend.[68] Kennelijk waren er al meer dan een halve eeuw eerder problemen geweest. Want de abdij kon in 1384 een schepenakte uit 1325 produceren, waarin de resultaten werden beoorkond van een onderzoek dat toen op verzoek van de stedelijke raad was ingesteld door twee oud-schepenen, alse een sceydinghe ende een waerheit t’ondervinden tusschen den abt van Sunte Pauwels ende sinen convente an die een side ende tusschen onsen borgheren ende wonachtich sijn in den Gaerde an die ander sijde, alse van denghenen die wonen tusschen der hofsteden daer haren Herman Grawaert op plach te wonen an de overzide ende der heren hofstede van Oudemunster an die nedersijde, alse van dien erve dat leghet buten der heren muere van Sunte Pouwels vorseyt ter graften waert, hoeveel dat des erves desen voorseiden heren toebehoren soude mitten rechte. Zij hadden bevonden bij wittaftigen luden die des kundich waren van ouden tiden, doe die voorseide heren hoor mueren legheden, dat dese voorseide heren doe behelden III½ voete ruems buten horen mueren ter graftwaert, na der stat mate gemeten, ende dat dese voorseide III½ voet ruems nyemant betymmeren en mochte, ten ware bij consente ende onthengenissen deser voorseide heren, alse des abdts ende sijns convents. Er was dus een onderzoek ingesteld naar de rechtstoestand van de strook grond buiten de abdijmuur tussen het huiserf van Herman Grauwert aan de ene kant (in de buurt van de Hamburgerstraat) en het huiserf van Oudmunster aan de andere kant (in de buurt van het Wed). Betrouwbare getuigen op leeftijd, die de muur nog hadden zien bouwen, hadden verklaard dat de abdij toen nog drie en een halve voet – iets minder dan een meter (een Utrechtse stadsvoet mat 26,8 centimeter) – grond buiten hun muur hadden behouden en dat die ruimte door niemand bebouwd mocht worden dan met toestemming van de abt en het convent van Sint-Paulus. Waar die aanspraak op gebaseerd was, blijkt niet uit de geschreven bronnen, maar het archeologisch onderzoek gaf daarvoor wel een aanwijzing. Daaruit bleek namelijk dat de muur vooraf werd gegaan door een sloot. Vervolgens had men die sloot gebruikt als standgreppel voor de muur. Kennelijk beschouwde de abdij zichzelf als gerechtigde van de hele sloot, die dan een breedte zal hebben gehad van ongeveer zeven voet, een kleine twee meter.[69] Gezien het overleggen van de authentieke akte uit 1325 hoeft het niet te verbazen dat in 1384 de burgers die tegen de muur hadden gebouwd geen gelijk kregen.[70] Maar een dergelijke situatie in een zich verstedelijkend gebied was natuurlijk bijna vragen om moeilijkheden. In 1517 kreeg de bezitter van het pand Wed 5-9, de kanunnik en scholaster van Oudmunster Wolfert van Medemblik, toestemming om de noordwesthoek van de abdijmuur af te breken en daar schuinweg een nieuwe muur te plaatsen om aldus vanuit de Oudmunstertrans beter bij zijn zomerhuis te kunnen komen. Dit werd hem door de abdij voor zijn leven en het leven van zijn broer Jan, ook kanunnik van Oudmunster, gegund. Bepaald werd dat de oude muur tot één voet onder de grond moest blijven liggen om aldus de rechten van de abdij in de toekomst te kunnen bewijzen. In de akte die van de overeenkomst werd opgemaakt, werd ook de oorkonde uit 1325 nog opgevoerd waaruit bleek dat de abdij ook nog drie en een halve voet buiten de muur bezat.[71] Uit dit alles blijkt wel dat er de abdij veel aan gelegen was om haar immuniteitsgebied geheel intact te houden. Besluit Overzien we al deze gegevens, dan kunnen we concluderen dat de relatie monniken en rechtspraak minder ongewoon was dan op het eerste gezicht lijkt. Gedurende de volle periode van haar aanwezigheid, vanaf 1050 tot de opheffing na 1580, hebben functionarissen van de Sint-Paulusabdij op deze plek jurisdictie van diverse aard uitgeoefend. Dit gold zowel kerkelijke als wereldlijke rechtspraak. Eerstgenoemde betrof de rechtspraak binnen het eigen immuniteitsgebied over monnniken en familia, en verder door de pausen en bisschoppen ge(sub)delegeerde rechtspraak uitgeoefend door de abt en de prior. Op het terrein van de wereldlijke rechtsmacht bezat de abdij naast eigen leenrechtspraak en een aantal tijnsgerechten in enkele van haar bezittingen de hoge jurisdictie, in andere alleen de lage. Namens de abdij werden deze wereldlijke gerechten voorgezeten door de abt of diens vertegenwoordiger, de schout. Na het verdwijnen van de monniken ten gevolge van de Hervorming kreeg een deel van de abdijgebouwen een bestemming die specifiek voor de rechtspraak bedoeld was: toen werd het gewestelijk hof van Utrecht er gevestigd, later de rechtbank en het kantongerecht. Inmiddels is er een eind gekomen aan deze gestrenge functie. Na grondige restauratie zijn in de vrijkomende gebouwen inmiddels een hotel-restaurant en publieksruimten van Het Utrechts Archief gevestigd. |
|
© 2000-2012 C.J.C. Broer en M.W.J. de Bruijn. - Gepubliceerd 2010; laatst bewerkt 18 september 2012. |
|